_Lameere_MNHN_FTH_=_Nyctonympha_carcharias.jpg)
Hebestola carcharias Lameere Specimen Type: holotype Institution: MNHN Museum of Natural History Paris, France Collection Location: Aragua, Colonia Tovar, Venezuela 16740
|
_Lameere_MNHN_Colonia_Tovar_Aragua_Venezuela_SS.jpg)
Hebestola carcharias Lameere Specimen Type: holotype Institution: MNHN Museum of Natural History Paris, France Photographer: J S Moure Collection Location: Aragua, Colonia Tovar, Venezuela 62412
|
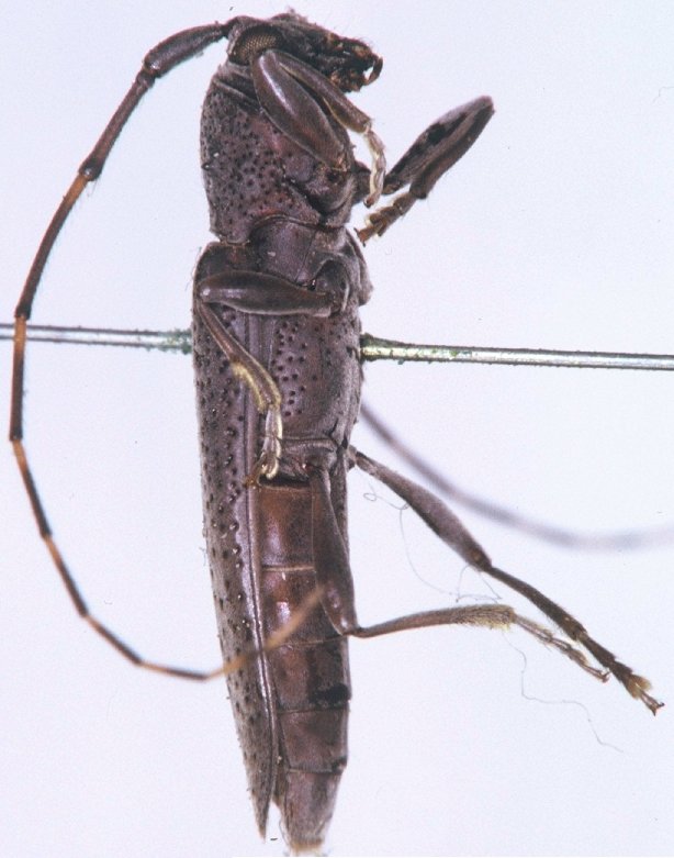
_Aurivillius_NHRS_LaMoka_Venezuela_now_carch_Moure.jpg)
Nyctonympha glauca Aurivillius Specimen Type: holotype Institution: NHRS Naturhistoriska Riksmuseet, Stockholm, Sweden Photographer: Norma Giambarresi Ganho Collection Location: La Moka, Venezuela 62418
|
_Aurivillius_NHRS_LaMoka_Venezuela_now_carch_Moure.jpg)
Nyctonympha glauca Aurivillius Specimen Type: holotype Institution: NHRS Naturhistoriska Riksmuseet, Stockholm, Sweden Photographer: Norma Giambarresi Ganho Collection Location: La Moka, Venezuela 62419
|
|