New Search Family, Subfamily and Tribe List

SubFamily Lamiinae

Tribe Forsteriini
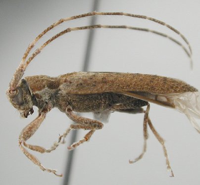
Neohebestola parvula (Blanchard in Gay, 1851)

Photographer: Larry G. Bezark
Determiner: maybe this taxon
Collection Location: Limari, Chile
24984


Photographer: Larry G. Bezark
Determiner: maybe this taxon
Collection Location: Limari, Chile
24985

130425