New Search Family, Subfamily and Tribe List

SubFamily Lamiinae

Tribe Forsteriini
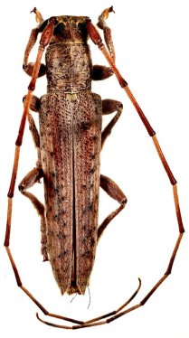
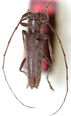
Gisostola nordestina Galileo & Martins 1987

Specimen Type: holotype
Institution: MNRJ Museu Nacional Universidade do Rio Janeiro, Brazil
Photographer: Steve Lingafelter
7952


Photographer: Nascimento
Collection Location: Quixada, Serra do Estevão, Ceara, Brazil
54847

130425