_M_G_MNRJ_Maracas_Bahia_Brazil_SS2.jpg)
Specimen Type: holotype Sex: m Institution: MNRJ Museu Nacional Universidade do Rio Janeiro, Brazil Photographer: Antonio Santos-Silva Collection Location: Maracas, Bahia, Brazil 59632
|
_Martins_and_Galileo_MZSP_SWL.jpg)
Specimen Type: holotype Sex: m Institution: MNRJ Museu Nacional Universidade do Rio Janeiro, Brazil Photographer: Steve Lingafelter Collection Location: Maracas, Bahia, Brazil 7951
|
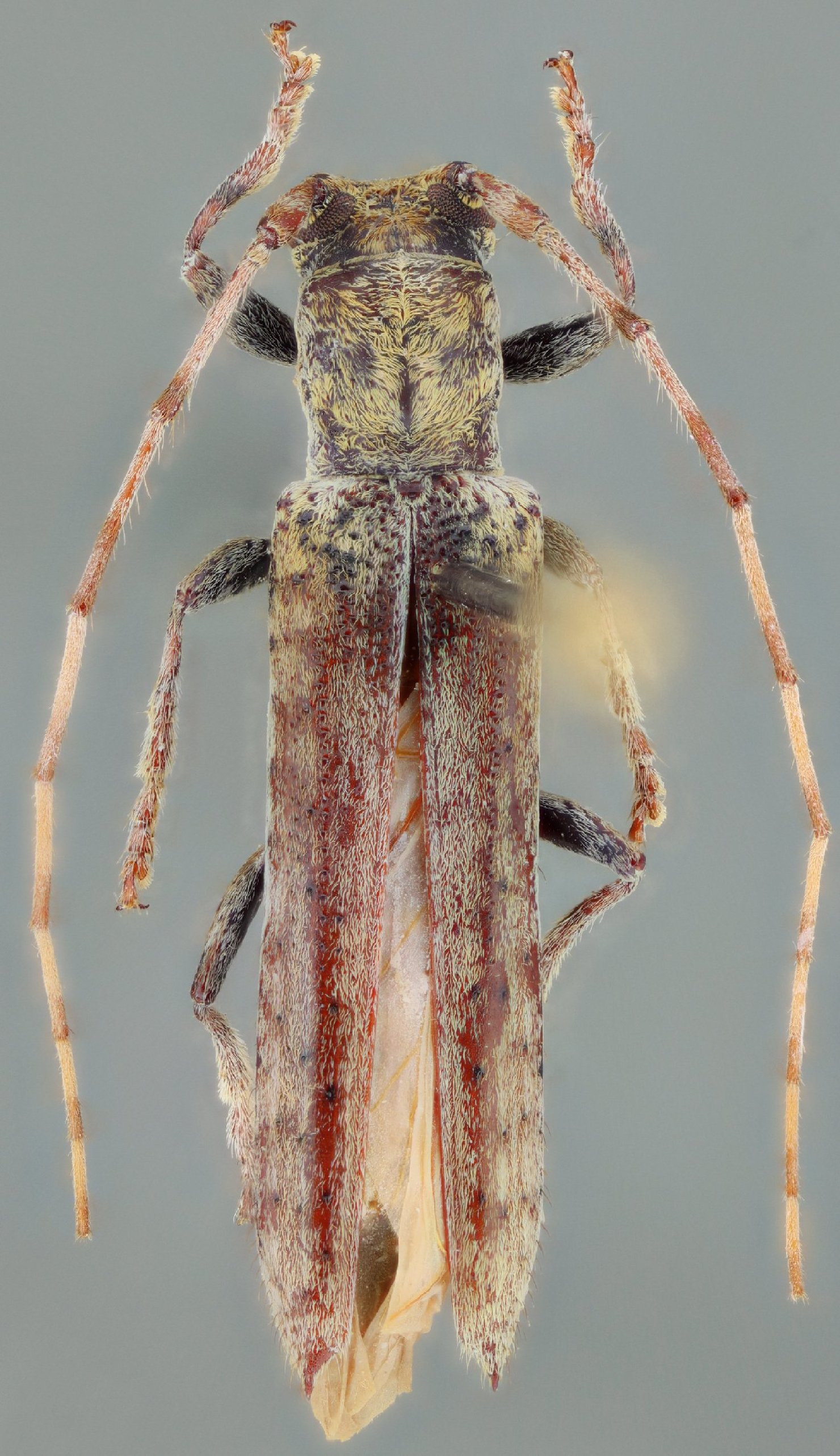
 Mart Gal MZSP Janauba, Bico da Pedra, Minas Gerais, Brazil SS.jpg)
Sex: f Institution: MZSP Museu de Zoologia da Universidade de São Paulo, Brazil Photographer: Antonio Santos-Silva Collection Location: Janauba, Bico da Pedra, Minas Gerais, Brazil 80991
|
|