New Search Family, Subfamily and Tribe List

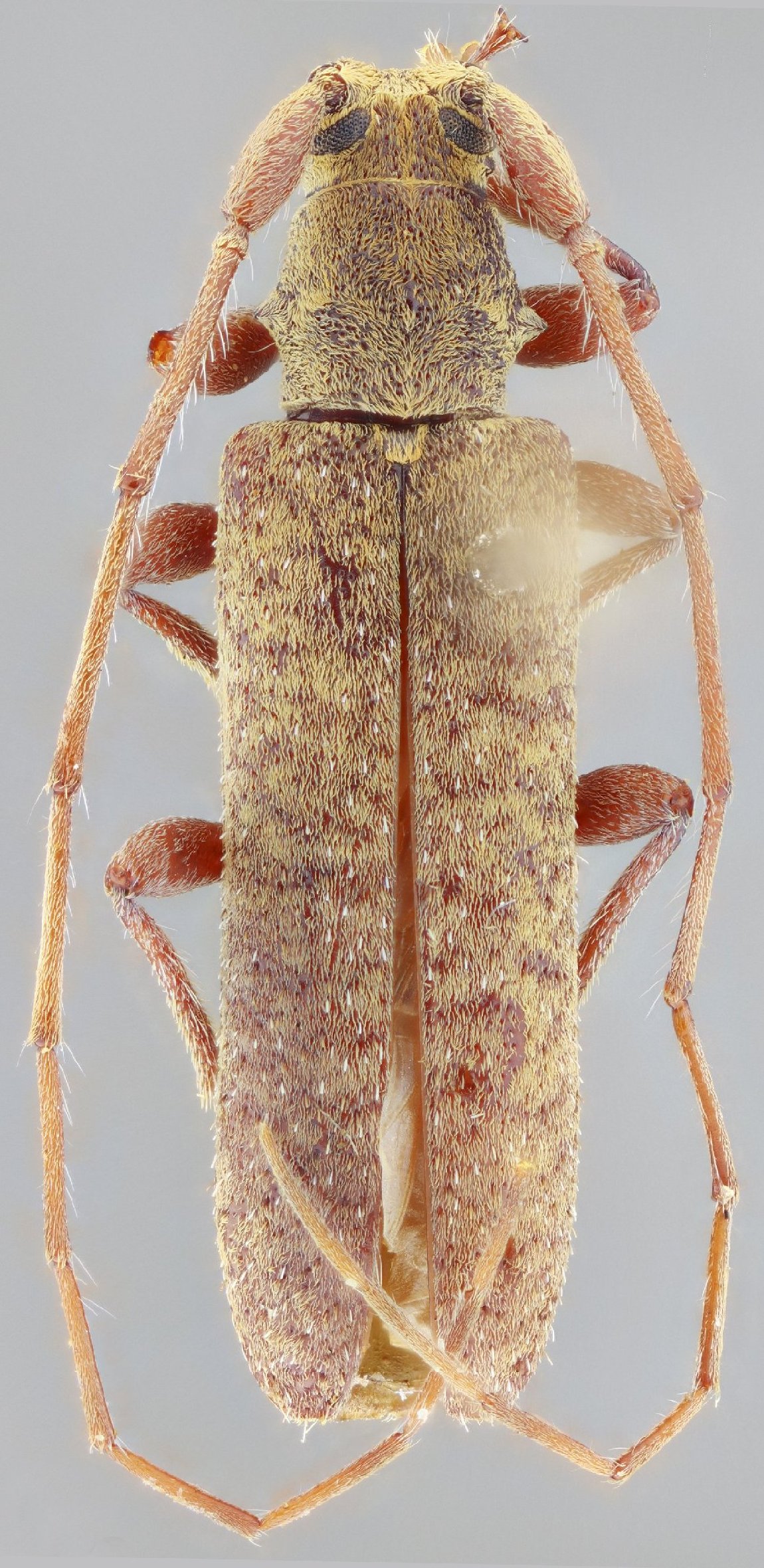
SubFamily Lamiinae

Tribe Forsteriini
Falsamblesthis seriepilosa (Kirsch, 1889)

Sex: m
Institution: MZSP Museu de Zoologia da Universidade de São Paulo, Brazil
Photographer: Antonio Santos-Silva
Collection Location: Imbabura, Ecuador
101612


Sex: m
Collection Location: Ecuador
22756

130425