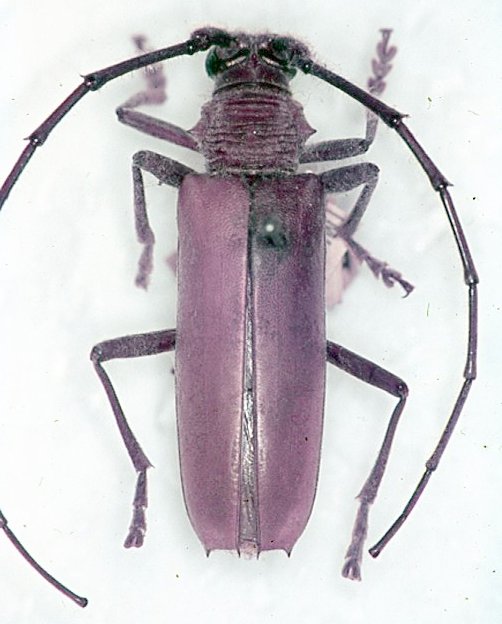
 Melzer MZSP Passa Cuatro, MInas Gerais, Brazil now Jupo Moure.jpg)
Hamaticherus garbei Melzer Specimen Type: lectotype Sex: m Institution: MZSP Museu de Zoologia da Universidade de São Paulo, Brazil Photographer: JS Moure Collection Location: Passa Cuatro, Minas Gerais, Brazil 22808
|
_Marcela_photo_Itatiaia_NP_RJ_Brazil.jpg)
Photographer: Marcela Monne Collection Location: Itatiaia National Park, Rio de Janeiro, Brazil 27815
|