 Bates MNHN Rio Grande do Sul, Brazil now nigromac Moure.jpg)
Amphionycha spilota Bates Specimen Type: holotype Sex: f Institution: MNHN Museum of Natural History Paris, France Photographer: JS Moure Collection Location: Rio Grande do Sul, Brazil 95342
|
_drawing.jpg)
24746
|
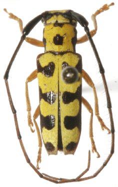
_Det_Monne_Uruguay_Colonia_LGB.jpg)
Photographer: Larry G. Bezark Determiner: Monne Collection Location: Colonia, Uruguay 23223
|
_(Klug)_Det_Monne_Uruguay_Colonia_LGB.jpg)
Photographer: Larry G. Bezark Determiner: Monne Collection Location: Colonia, Uruguay 23225
|
_LGB.jpg)
Institution: LGBC Larry G. Bezark Collection, Sacramento, California, USA Photographer: Larry G. Bezark Collection Location: 20 km N Wanda, Misiones, Argentina 23224
|
_maybe_Bolivia_RC.jpg)
24747
|
_Paraguay_Dep_Presidente_Hayes_Mehl.jpg)
Photographer: Ole Mehl Collection Location: Department President Hayes, Paraguay 36953
|
|