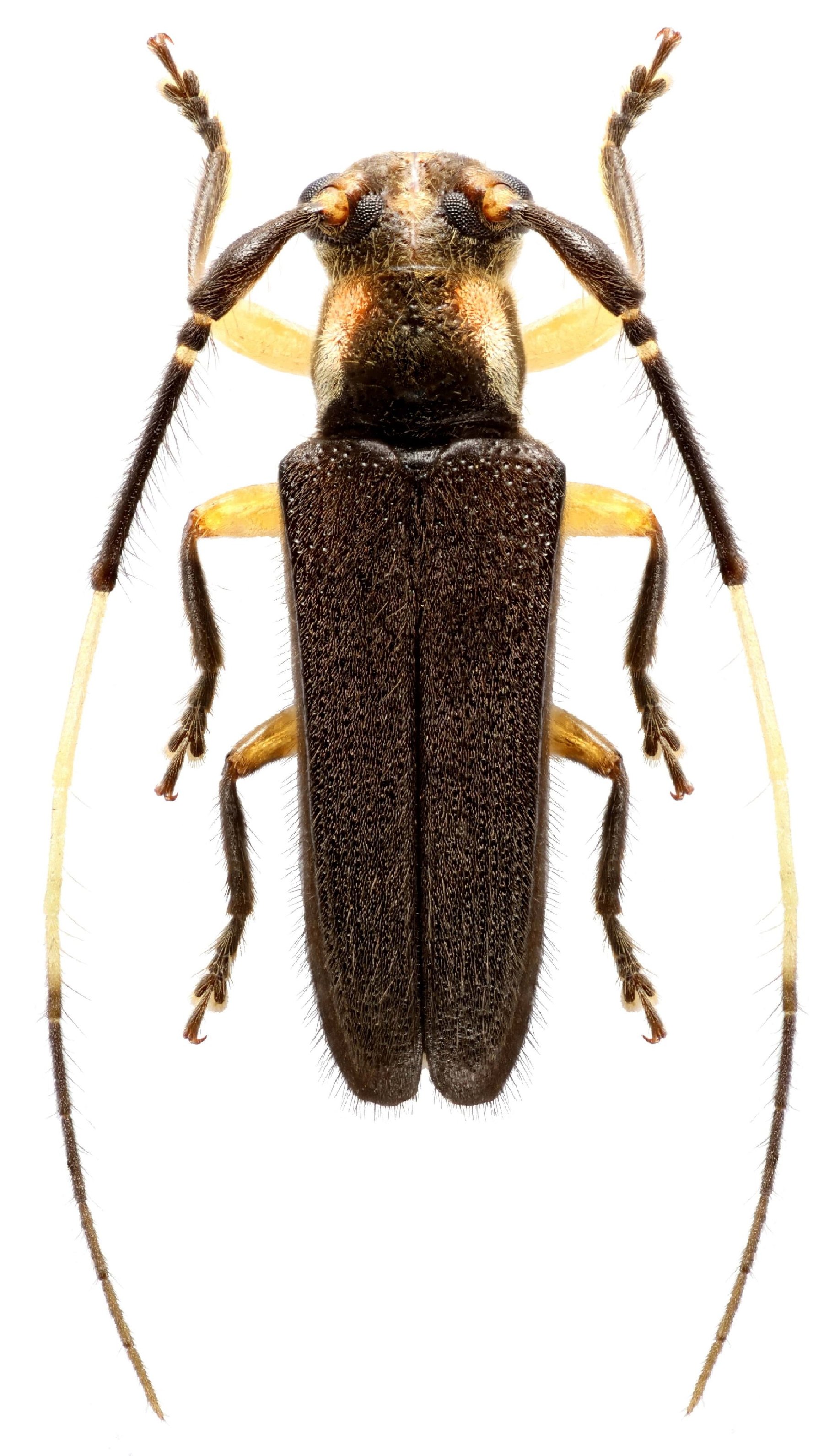
 Olivier BMNH now Sybaguasu Moure.jpg)
Saperda thoracica Olivier Specimen Type: syntype Institution: BMNH British Museum Natural History, London, UK Photographer: JS Moure Collection Location: not known 100436
|
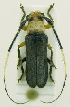
 Olivier MNHN now Sybaguasu Moure.jpg)
Saperda thoracica Olivier Specimen Type: syntype Institution: MNHN Museum of Natural History Paris, France Photographer: JS Moure Collection Location: not known 100437
|