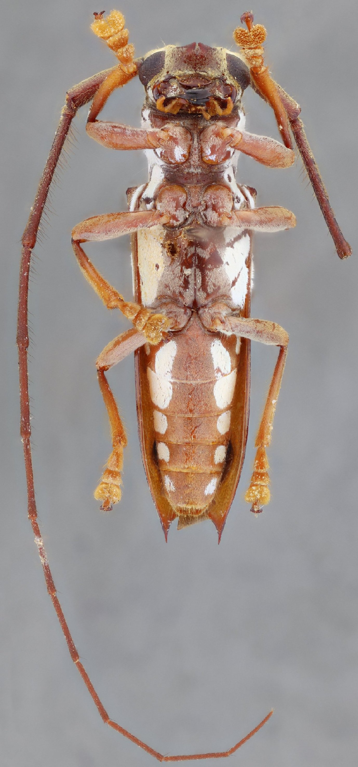
 Lane MZSP Alto Purus, Acre, Brazil SS.jpg)
Specimen Type: holotype Sex: m Institution: MZSP Museu de Zoologia da Universidade de São Paulo, Brazil Photographer: Antonio Santos-Silva Collection Location: Alto Purus, Acre, Brazil 78823
|
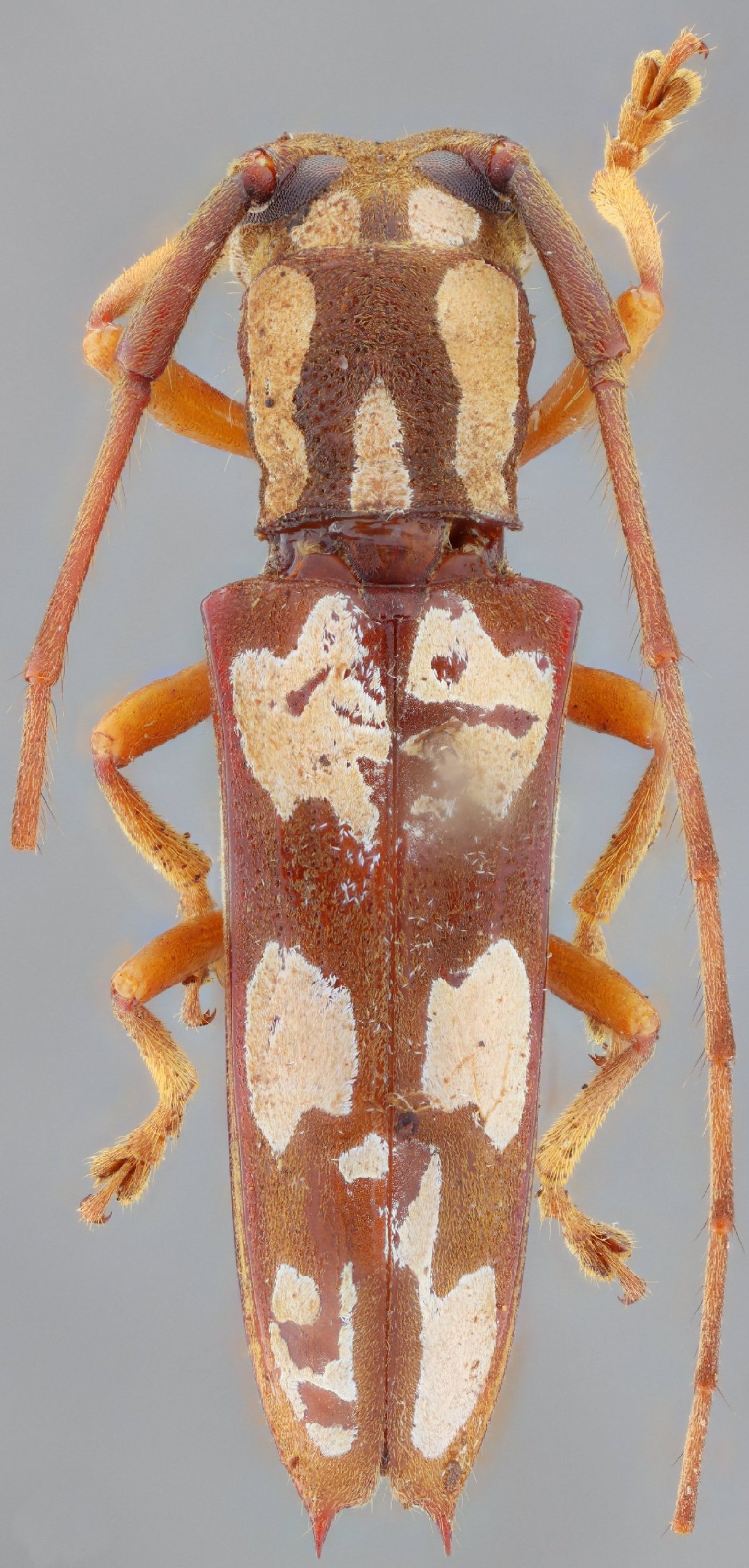
 Lane MZSP Alto Purus, Acre, Brazil SS.jpg)
Specimen Type: holotype Sex: m Institution: MZSP Museu de Zoologia da Universidade de São Paulo, Brazil Photographer: Antonio Santos-Silva Collection Location: Alto Purus, Acre, Brazil 78824
|
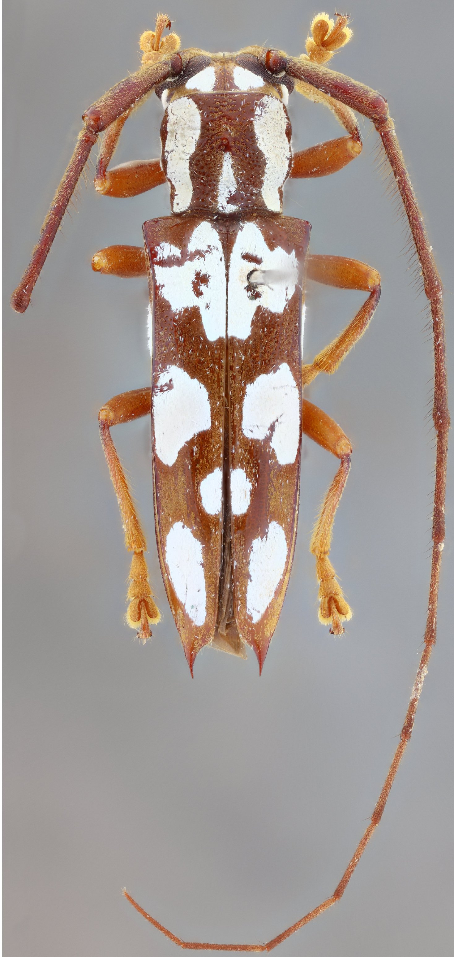
 Lane MZSP Alto Purus, Acre, Brazil SS.jpg)
Specimen Type: holotype Sex: m Institution: MZSP Museu de Zoologia da Universidade de São Paulo, Brazil Photographer: Antonio Santos-Silva Collection Location: Alto Purus, Acre, Brazil 78825
|
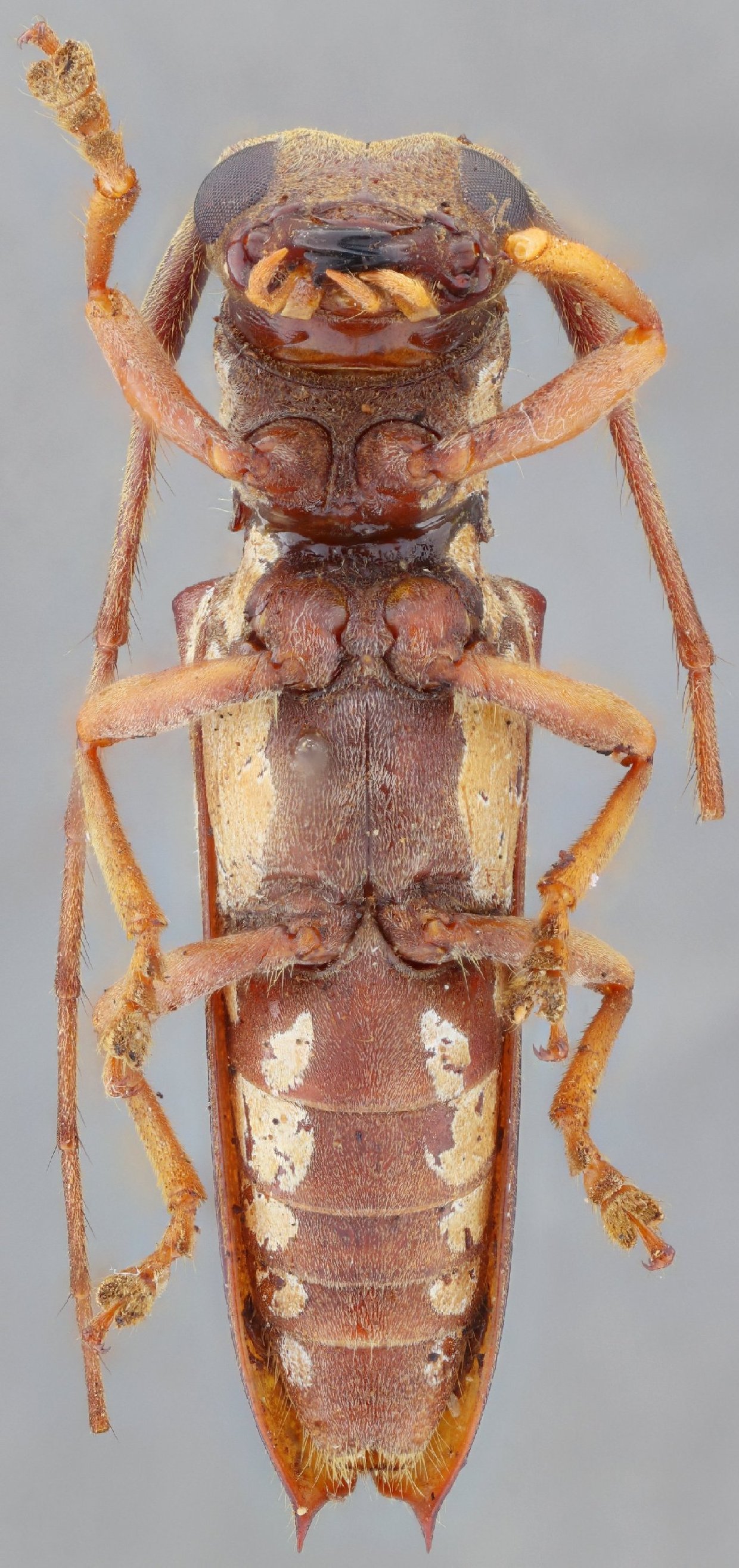
 Lane MZSP Alto Purus, Acre, Brazil SS.jpg)
Specimen Type: holotype Sex: m Institution: MZSP Museu de Zoologia da Universidade de São Paulo, Brazil Photographer: Antonio Santos-Silva Collection Location: Alto Purus, Acre, Brazil 78826
|
 Lane MZSP Alto Purus, Acre, Brazil SS.jpg)
Specimen Type: holotype Sex: m Institution: MZSP Museu de Zoologia da Universidade de São Paulo, Brazil Photographer: Antonio Santos-Silva Collection Location: Alto Purus, Acre, Brazil 78827
|
_Lane_MZSP_SWL.jpg)
Specimen Type: holotype Institution: MZSP Museu de Zoologia da Universidade de São Paulo, Brazil Photographer: Steve Lingafelter 12878
|
 Lane MZSP Rio Javari, Benjamin Constant, Amazonas, Brazil SS.jpg)
Sex: f Institution: MZSP Museu de Zoologia da Universidade de São Paulo, Brazil Photographer: Antonio Santos-Silva Collection Location: Rio Javari, Benjamin Constant, Amazonas, Brazil 78828
|
 Lane MZSP Rio Javari, Benjamin Constant, Amazonas, Brazil SS.jpg)
Sex: f Institution: MZSP Museu de Zoologia da Universidade de São Paulo, Brazil Photographer: Antonio Santos-Silva Collection Location: Rio Javari, Benjamin Constant, Amazonas, Brazil 78829
|

Photographer: Jim Wappes Collection Location: Bolivia 12879
|

Photographer: Alicia M. Hodson 42510
|