_Bates_BMNH_JAC.jpg)
Specimen Type: holotype Sex: f Institution: BMNH British Museum Natural History, London, UK Photographer: John Chemsak Collection Location: Playa Vicente, Veracruz, Mexico 18166
|

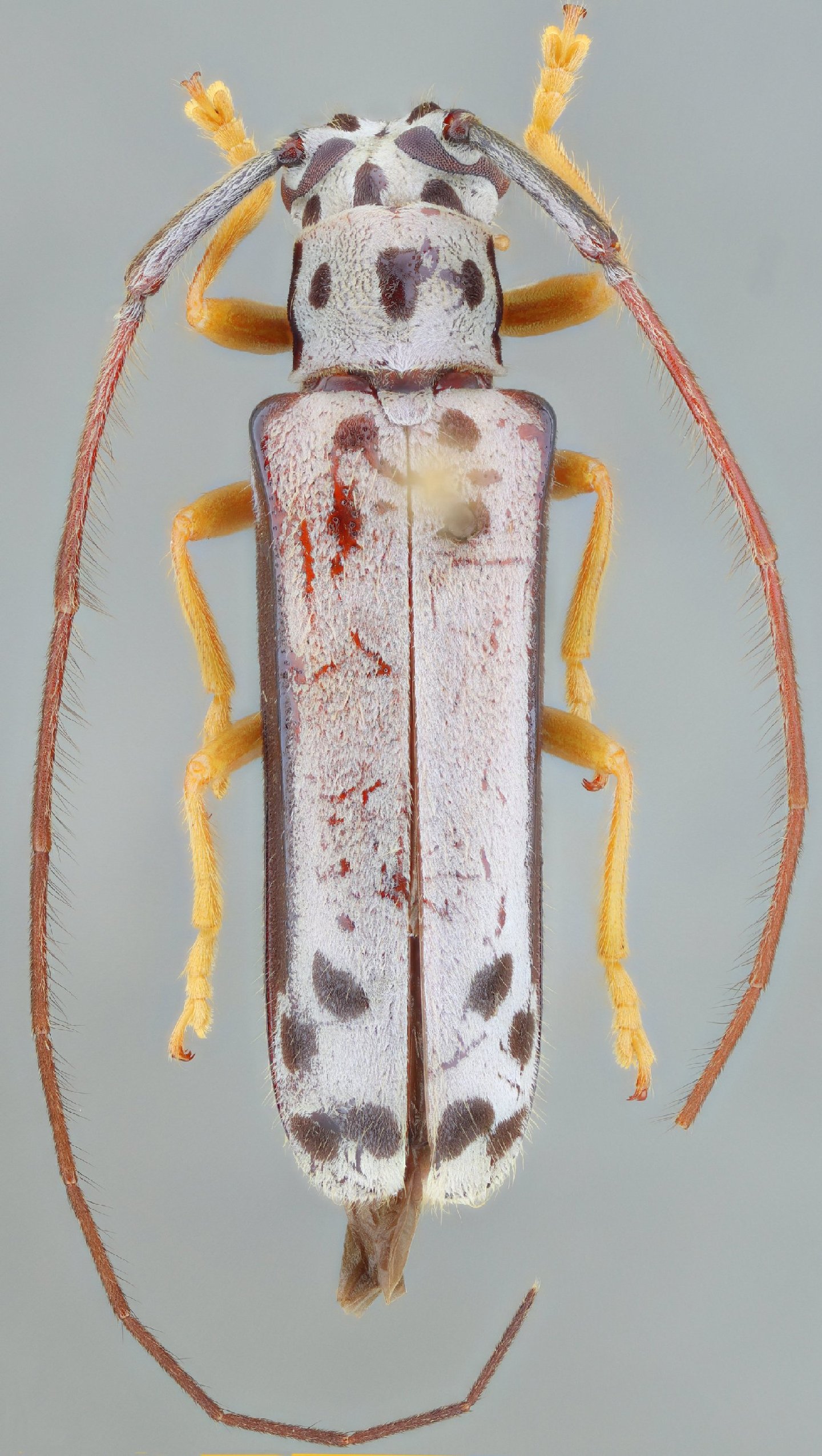
Sex: m Institution: UCB Essig Museum of Entomology, Berkeley, California, USA Photographer: Larry G. Bezark Determiner: Chemsak Collection Location: Campeche, Mexico 12053
|