 BMNH Brazil now Melzerina Moure.jpg)
Hilarolea lacordairei Gahan Specimen Type: holotype Sex: f Institution: BMNH British Museum Natural History, London, UK Photographer: JS Moure Collection Location: Brazil 95797
|
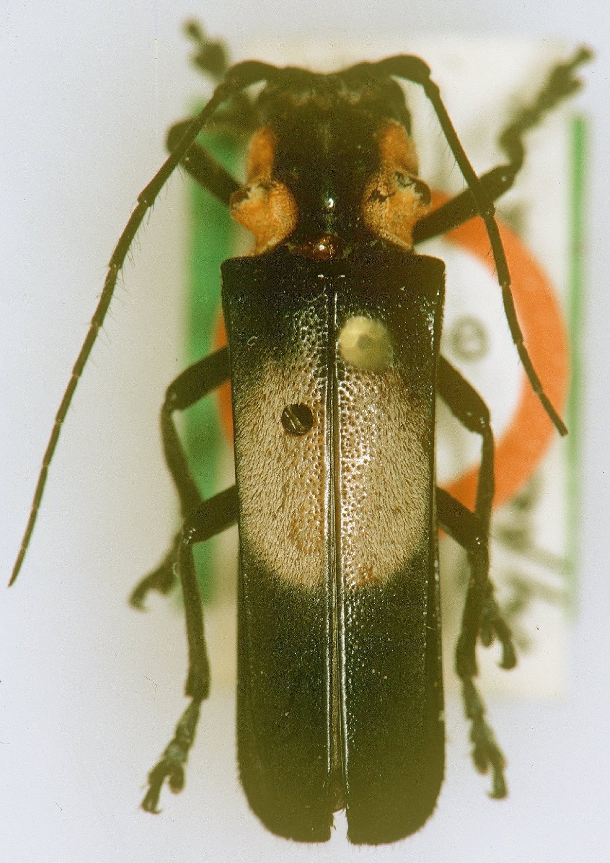
_MZSP_Santa_Teresa_ES_Braz_det_Lane.jpg)
Institution: MZSP Museu de Zoologia da Universidade de São Paulo, Brazil Photographer: Larry G. Bezark Determiner: Lane Collection Location: Santa Teresa, Espirito Santo, Brazil 33604
|