New Search Family, Subfamily and Tribe List

SubFamily Lamiinae

Tribe Hemilophini
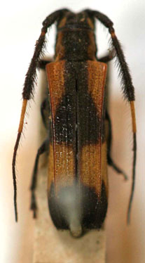
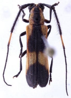
Malacoscylus cinctulus Bates 1881

Specimen Type: holotype
Institution: MNHN Museum of Natural History Paris, France
17230


Institution: MZSP Museu de Zoologia da Universidade de São Paulo, Brazil
Photographer: Steve Lingafelter
Determiner: Bira Martins
Collection Location: Bolivia
9565


Photographer: Alicia M. Hodson
42296


Photographer: Jim Wappes
Collection Location: Bolivia
9564

130425