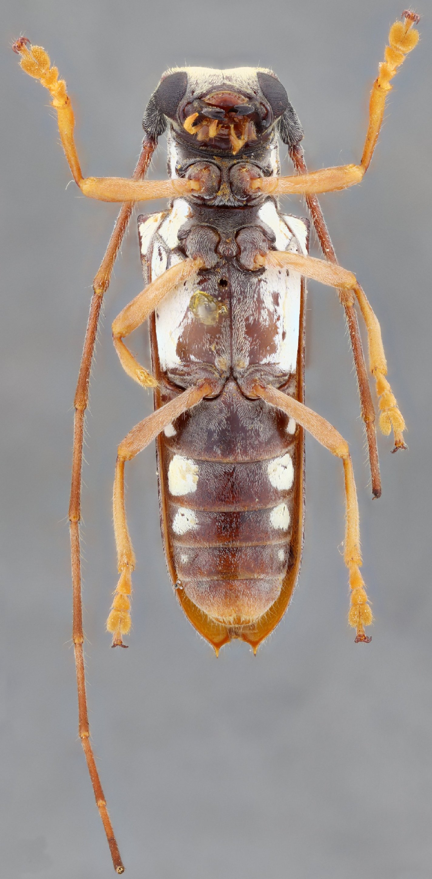
 Kirsch SMTD Latacunga, Cotopaxi, Ecuador now Juninia Olaf Jager.jpg)
Amphionycha annulifera Kirsch Specimen Type: holotype Sex: m Institution: SNSD Senckenberg Naturhistorische Sammlungen Dresden, Germany Photographer: Olaf Jager Collection Location: Latacunga, Cotopaxi, Ecuador 78817
|
 Kirsch SMTD Latacunga, Cotopaxi, Ecuador now Juninia Olaf Jager.jpg)
Amphionycha annulifera Kirsch Specimen Type: holotype Sex: m Institution: SNSD Senckenberg Naturhistorische Sammlungen Dresden, Germany Photographer: Olaf Jager Collection Location: Latacunga, Cotopaxi, Ecuador 78818
|
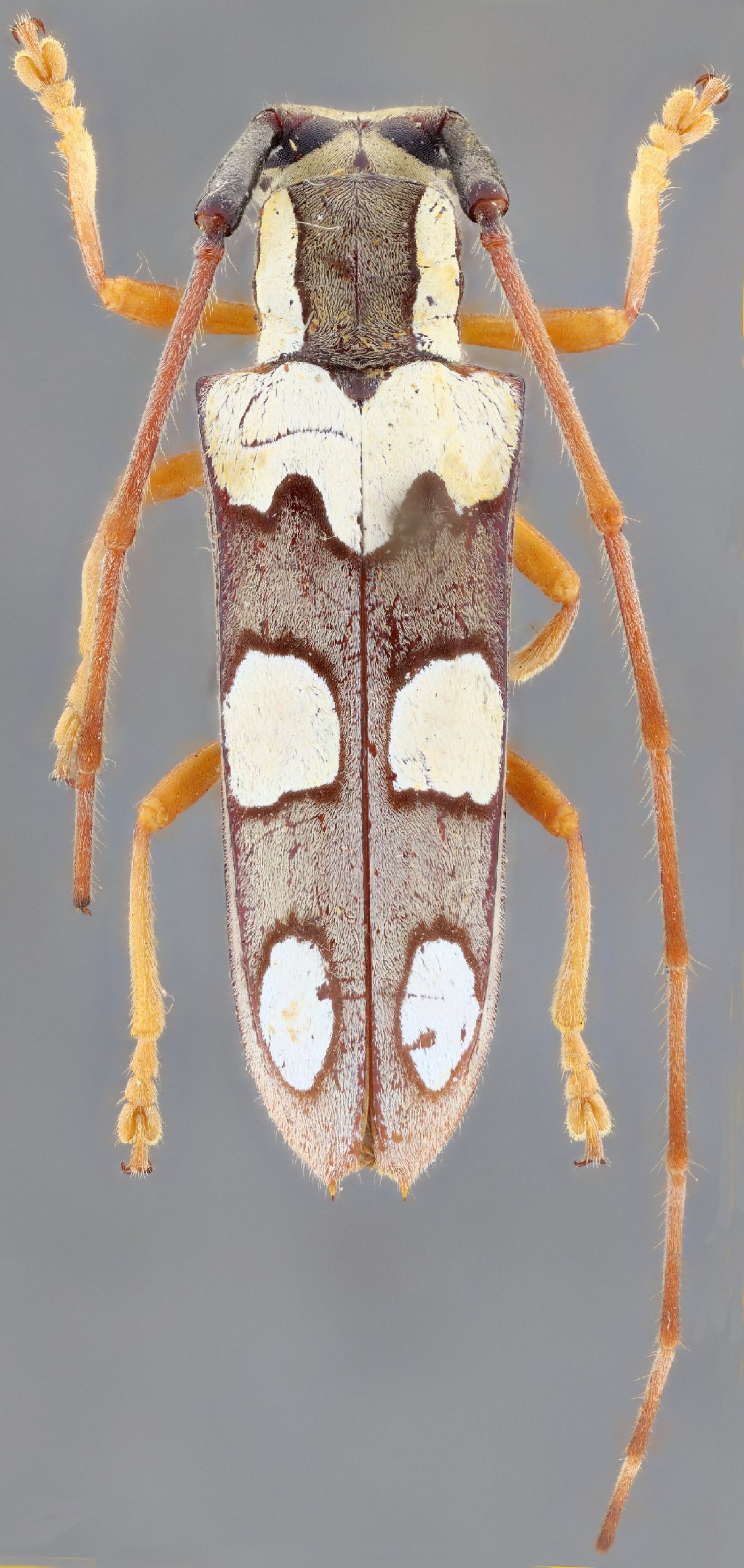
 Lane MZSP Sani Beni, Junin, Peru SS.jpg)
Juninia leechi Lane Specimen Type: paratype Sex: m Institution: MZSP Museu de Zoologia da Universidade de São Paulo, Brazil Photographer: Antonio Santos-Silva Collection Location: Sani Beni, Junin, Peru 78819
|
 Lane MZSP Sani Beni, Junin, Peru SS.jpg)
Juninia leechi Lane Specimen Type: paratype Sex: m Institution: MZSP Museu de Zoologia da Universidade de São Paulo, Brazil Photographer: Antonio Santos-Silva Collection Location: Sani Beni, Junin, Peru 78820
|
 Lane MZSP Sani Beni, Junin, Peru SS.jpg)
Juninia leechi Lane Specimen Type: paratype Sex: m Institution: MZSP Museu de Zoologia da Universidade de São Paulo, Brazil Photographer: Antonio Santos-Silva Collection Location: Sani Beni, Junin, Peru 8899
|
_Saalbeni_Sunin_Satipo_Peru.jpg)
Institution: EMEC Essig Museum of Entomology, Berkeley, CA, USA Photographer: Larry G. Bezark Collection Location: Saalbeni, Junin, Satipo, Peru 44936
|
_Saalbeni_Sunin_Satipo_Peru2.jpg)
Institution: EMEC Essig Museum of Entomology, Berkeley, CA, USA Photographer: Larry G. Bezark Collection Location: Saalbeni, Junin, Satipo, Peru 44937
|
 (Kirsch) MZSP Chontamarca, Route Gun to El Triunfo, Canar, Ecuador SS.jpg)
Sex: f Institution: MZSP Museu de Zoologia da Universidade de São Paulo, Brazil Photographer: Antonio Santos-Silva Collection Location: Chontamarca, Route Gun to El Triunfo, Canar, Ecuador 78821
|
|