_Bates_BMNH_Volcan_Chiriqui_Panama_now_Itumbiara_LGB.jpg)
Specimen Type: lectotype Sex: f Institution: BMNH British Museum Natural History, London, UK Photographer: Larry G. Bezark Collection Location: Volcan de Chiriqui, Panama 46935
|
 Bates BMNH Volcan de Chiriqui, Panama now Itumbiara Moure.jpg)
Isomerida subdilatata Bates Specimen Type: lectotype Sex: f Institution: BMNH British Museum Natural History, London, UK Photographer: JS Moure Collection Location: Volcan de Chiriqui, Panama 16977
|
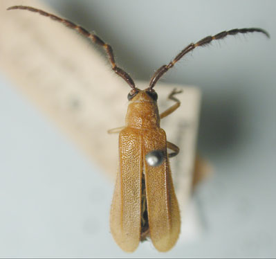
_LGB_El_Ceiba_Heredia_Costa_Rica.jpg)
Photographer: Larry G. Bezark Collection Location: El Ceiba, Heredia, Costa Rica 21373
|
_LGB_El_Ceiba_Heredia_Costa_Rica.jpg)
Photographer: Larry G. Bezark Collection Location: El Ceiba, Heredia, Costa Rica 21374
|
_Det_Santos-Silva_Costa_Rica_Limon_LGB.jpg)
Photographer: Larry G. Bezark Determiner: Santos-Silva Collection Location: Limon, Costa Rica 22015
|
_(Bates)_Det_Santos-Silva_Costa_Rica_Limon_LGB.jpg)
Photographer: Larry G. Bezark Determiner: Santos-Silva Collection Location: Limon, Costa Rica 22016
|
_BCA_(as_Isomerida).jpg)
Institution: BCA Biologia Centrali Americana Collection Location: (as Isomerida) 20433
|
_Bugaba_Panama_UCB_100065.jpg)
Institution: UCB Essig Museum of Entomology, Berkeley, California, USA Photographer: Larry G. Bezark Collection Location: Bugaba, Panama 8852
|
|