 Bates MNHN now Itumbiara Moure.jpg)
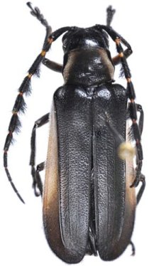
Isomerida fimbriata Bates Specimen Type: syntype Sex: m Institution: MNHN Museum of Natural History Paris, France Photographer: JS Moure Collection Location: Rio de Janeiro or Minas Gerais, Brazil 96272
|

Photographer: Marcela Monne Collection Location: Itatiaia National Park, Rio de Janeiro, Brazil 35355
|