_Bates_BMNH_Volcan_Chiriqui_Panama_now_Itumbiara_LGB.jpg)
Isomerida explanata Bates Specimen Type: holotype Institution: BMNH British Museum Natural History, London, UK Photographer: Larry G. Bezark Collection Location: Volcan de Chiriqui, Panama 46933
|
 Bates BMNH Volcan de Chiriqui, Chiriqui, Panama now Itumbiara Moure.jpg)
Isomerida explanata Bates Specimen Type: holotype Institution: BMNH British Museum Natural History, London, UK Photographer: JS Moure Collection Location: Volcan de Chiriqui, Panama 16971
|
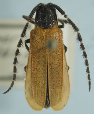
 (Bates) MZSP Costa Rica SS.jpg)
Sex: m Institution: MZSP Museu de Zoologia da Universidade de São Paulo, Brazil Photographer: Antonio Santos-Silva Collection Location: Costa Rica 78873
|
 (Bates) MZSP Costa Rica SS.jpg)
Sex: m Institution: MZSP Museu de Zoologia da Universidade de São Paulo, Brazil Photographer: Antonio Santos-Silva Collection Location: Costa Rica 78874
|
_Volcan_Chiriqui_Panama_LGB.jpg)
Institution: LGBC Larry G. Bezark Collection, Sacramento, California, USA Photographer: Larry G. Bezark Collection Location: Volcan de Chiriqui, Chiriqui, Panama 44835
|
_BCA_(as_Isomerida).jpg)
Institution: BCA Biologia Centrali Americana Collection Location: (as Isomerida) 8847
|
_CAS.jpg)
Institution: CAS California Academy of Sciences, San Francisco, CA, USA Photographer: Larry G. Bezark 8848
|
|