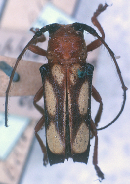
 Bates MNHN Obidos, Para, Brazil now Itaituba Moure.jpg)
Amphionycha miniacea Bates Specimen Type: syntype Institution: MNHN Museum of Natural History Paris, France Photographer: JS Moure Collection Location: Obidos, Para, Brazil 95297
|
_Bates_MNHN_FTH_=_Itaituba.jpg)
Amphionycha miniacea Bates Specimen Type: syntype Institution: MNHN Museum of Natural History Paris, France Collection Location: Obidos, Para, Brazil 15183
|
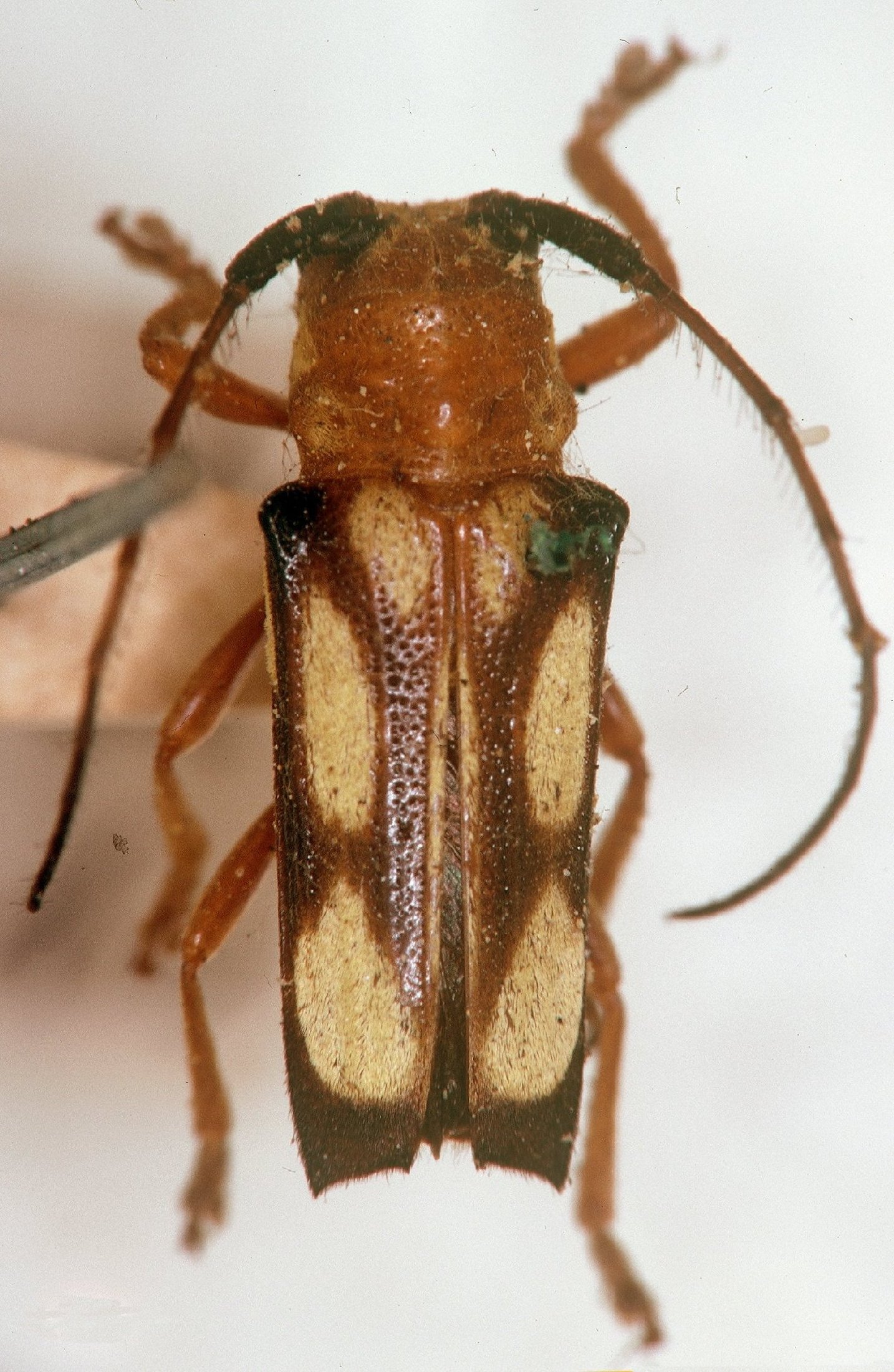
_Lane_MNRJ_SWL_=_Itaituba_miniacea_(Bates).jpg)
Itaituba truncata Lane Specimen Type: holotype Sex: f? Institution: MNRJ Museu Nacional Universidade do Rio Janeiro, Brazil Photographer: Steve Lingafelter Collection Location: Itaituba, Para, Brazil 8839
|
|