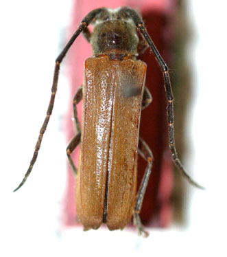
_G_and_M_AMNH_Manzanaro_Cundinamarca_Colombia.jpg)
Specimen Type: holotype Sex: m Institution: AMNH American Museum of Natural History, New York, NY, USA Collection Location: Manzanaro, Cundinamarca, Colombia 27807
|
_Galileo_and_Martins_MZSP_SWL.jpg)
Specimen Type: paratype Institution: MZSP Museu de Zoologia da Universidade de São Paulo, Brazil Photographer: Steve Lingafelter 8813
|