_G_M_NMNH_Piches_and_Perene_Valleys_Junin_Peru_SWL.jpg)
Specimen Type: holotype Sex: f Institution: NMNH United States National Museum, Washington, DC, USA Photographer: Steve Lingafelter Collection Location: Piches and Perene Valleys, Junin, Peru 68649
|
_G_M_NMNH_Piches_and_Perene_Valleys_Junin_Peru_SWL.jpg)
Specimen Type: holotype Sex: f Institution: NMNH United States National Museum, Washington, DC, USA Photographer: Steve Lingafelter Collection Location: Piches and Perene Valleys, Junin, Peru 68650
|
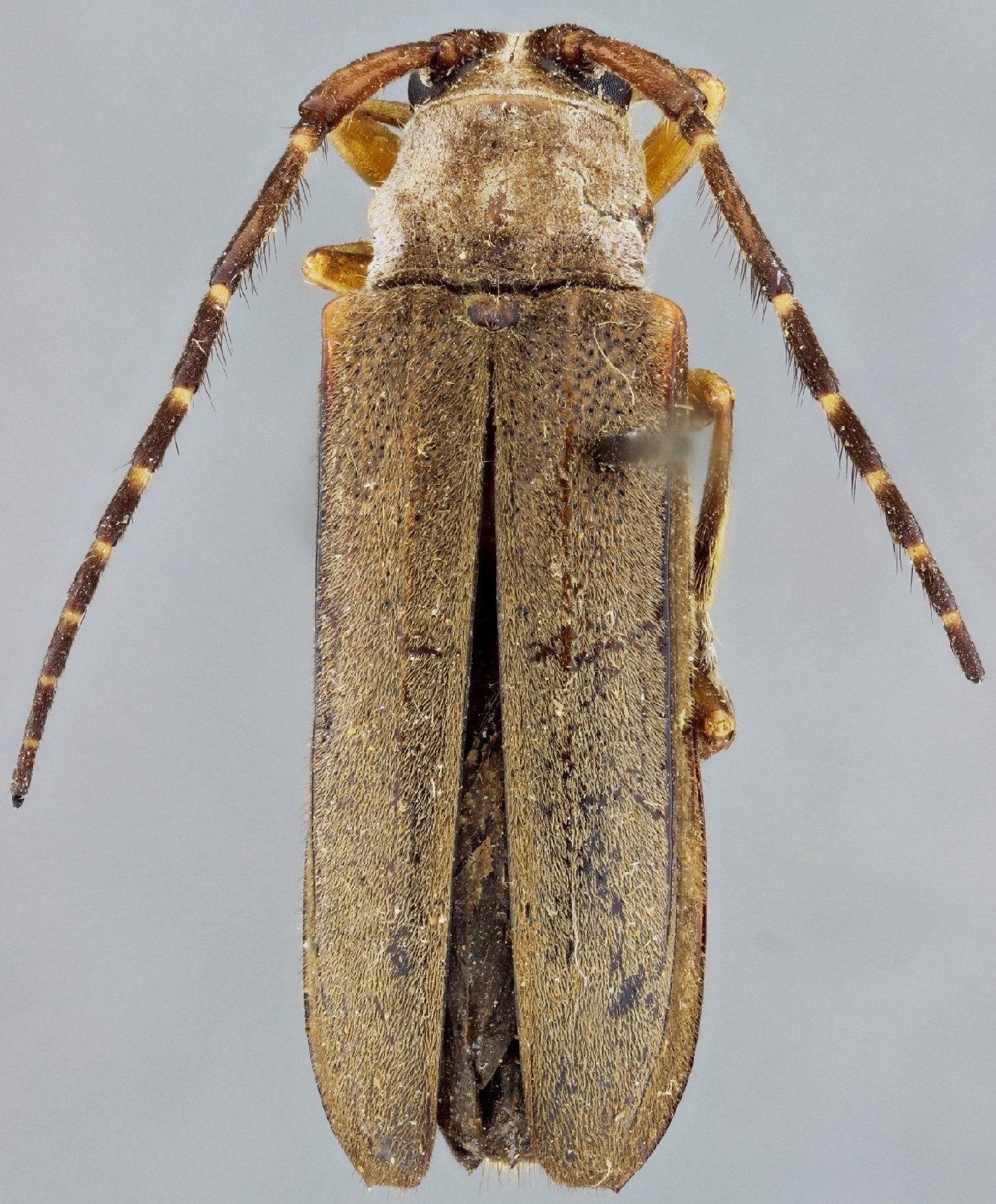
_G_M_MZSP_Chanchamayo_Cuzco_Peru_SS.jpg)
Specimen Type: paratype Sex: f Institution: MZSP Museu de Zoologia da Universidade de São Paulo, Brazil Photographer: Antonio Santos-Silva Collection Location: Chanchamayo, Cuzco, Peru 68651
|
|