_Bates_MNHN_Nova_Friburgo_RJ_Braz_=_Ibitiruna.jpg)
Amphionycha fenestrata Bates Specimen Type: syntype Institution: MNHN Museum of Natural History Paris, France Photographer: J S Moure Collection Location: Novo Friburgo, Rio de Janeiro, Brazil 33081
|
 Bates MNHN Novo Friburgo, Rio de Janeiro, Brazil now Ibituruna Moure.jpg)
Amphionycha fenestrata Bates Specimen Type: syntype Institution: MNHN Museum of Natural History Paris, France Photographer: JS Moure Collection Location: Novo Friburgo, Rio de Janeiro, Brazil 91516
|
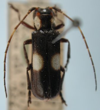
_MNRJ_Cantareira_SP_det_Lane_as_Adesmus.jpg)
Institution: MNRJ Museu Nacional Universidade do Rio Janeiro, Brazil Photographer: Larry G. Bezark Determiner: Lane, as Adesmus Collection Location: Cantareira, Sao Paolo, Brazil 33524
|
_MNRJ_S_Bento_SC_Brazil.jpg)
Institution: MNRJ Museu Nacional Universidade do Rio Janeiro, Brazil Photographer: Larry G. Bezark Collection Location: Sao Bento, Santa Catarina, Brazil 33525
|
|