_Bates_MNHN_FTH_=_Iarucanga.jpg)
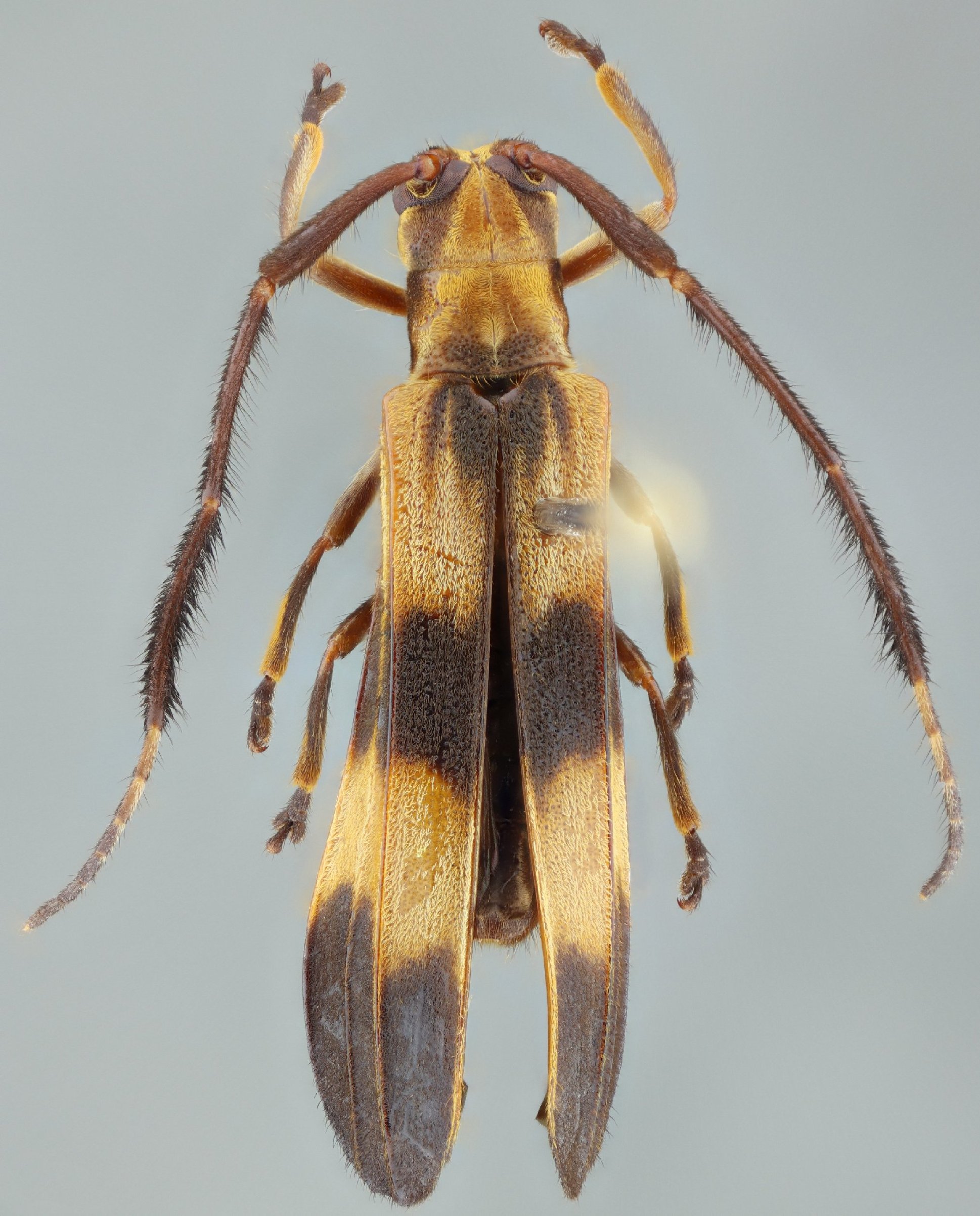
Spathoptera mimica Bates Specimen Type: syntype Institution: MNHN Museum of Natural History Paris, France Photographer: Gerard Tavakilian Collection Location: Tefé (originally Ega), Amazonas, Brazil 18508
|
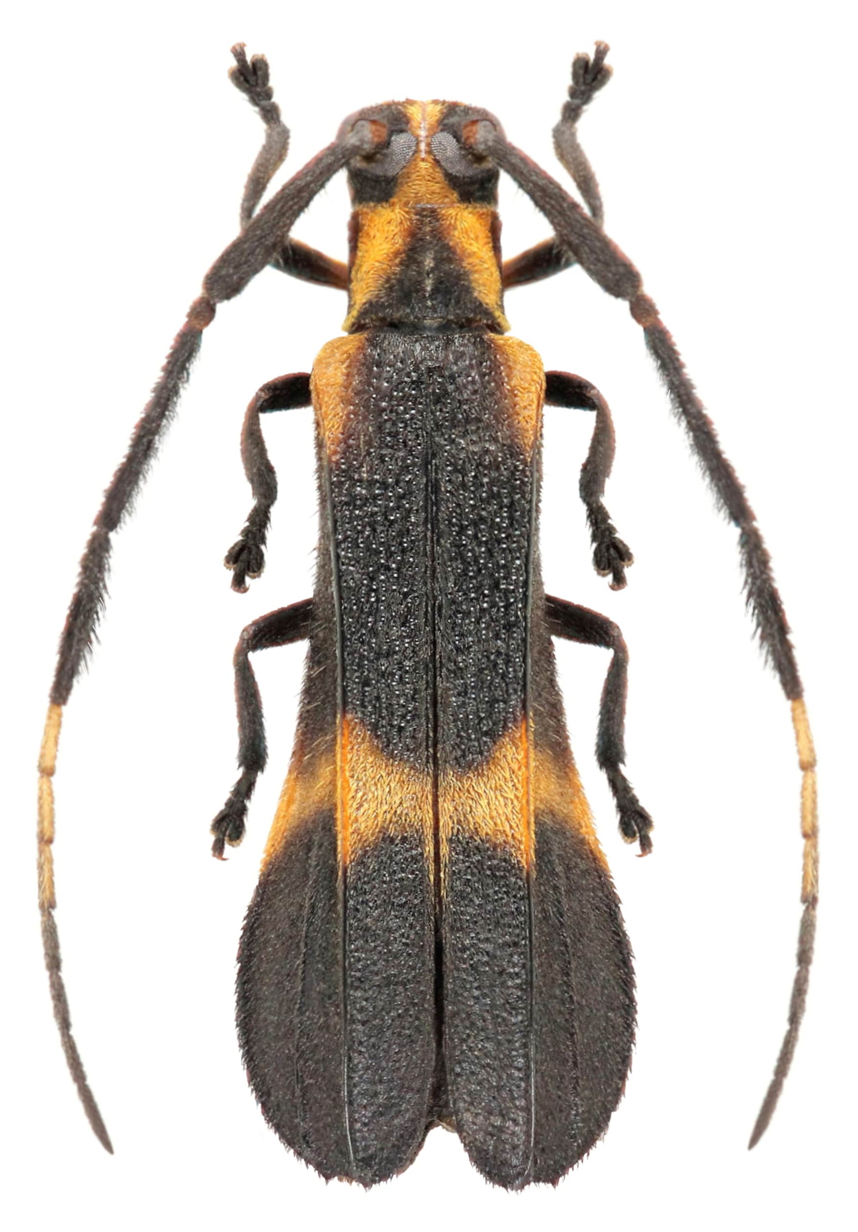
_Det_Martins_MZSP_SWL_Bolivia.jpg)
Institution: MZSP Museu de Zoologia da Universidade de São Paulo, Brazil Photographer: Steve Lingafelter Determiner: Martins Collection Location: Bolivia 8641
|

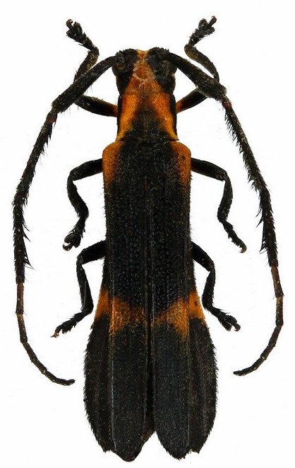
Photographer: Odette Morvan Collection Location: French Guiana 40065
|
_Kaw_FG_JLG.jpg)
Photographer: Jean-Louis Giuglaris Collection Location: Kaw, French Guiana 68065
|
 (Bates) Belizon, French Guiana Robin.jpg)
Sex: f Photographer: Frédéric Robin Collection Location: Belizon, French Guiana 78472
|
 (Bates) MZSP Senador Guiomard, Acre, Brazil SS.jpg)
Sex: f Institution: MZSP Museu de Zoologia da Universidade de São Paulo, Brazil Photographer: Antonio Santos-Silva Collection Location: Senador Guiomard, Acre, Brazil 81140
|