 Bates BMNH Mexico now Hilaroleop Moure.jpg)
Amphionycha globicollis Bates Specimen Type: holotype Sex: f Institution: BMNH British Museum Natural History, London, UK Photographer: JS Moure Collection Location: Mexico 95205
|
_BMNH_JAC_as_Adesmus.jpg)
Sex: f Institution: BMNH British Museum Natural History, London, UK Photographer: John Chemsak Collection Location: Mexico 16829
|
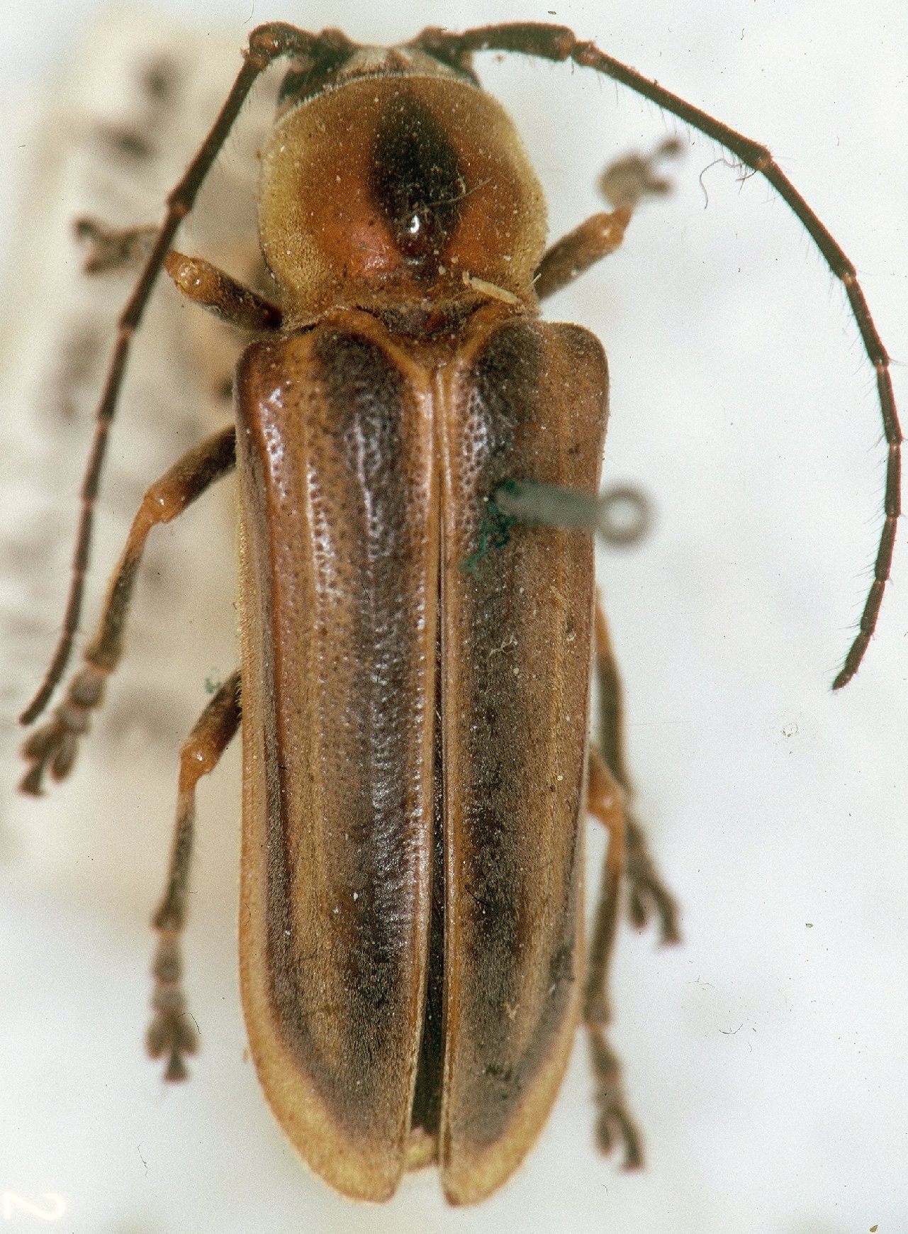
_Bates_=_Hilaroleopsis_globicollis.jpg)
Sex: f Institution: BMNH British Museum Natural History, London, UK Collection Location: Mexico 3815
|
_Det_Chemsak_Cordoba_Veracruz_Mexico_UCB_100029.jpg)
Institution: UCB Essig Museum of Entomology, Berkeley, California, USA Photographer: Larry G. Bezark Determiner: Chemsak Collection Location: Cordoba, Veracruz, Mexico 8438
|
|