 Bates BMNH Volcan de Chiriqui, Panama now Hilaroleopis Moure.jpg)
Amphionycha bicarinata Bates Specimen Type: holotype Sex: m Institution: BMNH British Museum Natural History, London, UK Photographer: JS Moure Collection Location: Volcan de Chiriqui, Chiriqui, Panama 90764
|
_Bates_BMNH_JAC_=_Hilaroleopsis_bicarinata.jpg)
Amphionycha bicarinata Bates Specimen Type: holotype Sex: m Institution: BMNH British Museum Natural History, London, UK Photographer: John Chemsak Collection Location: Volcan de Chiriqui, Chiriqui, Panama 15160
|
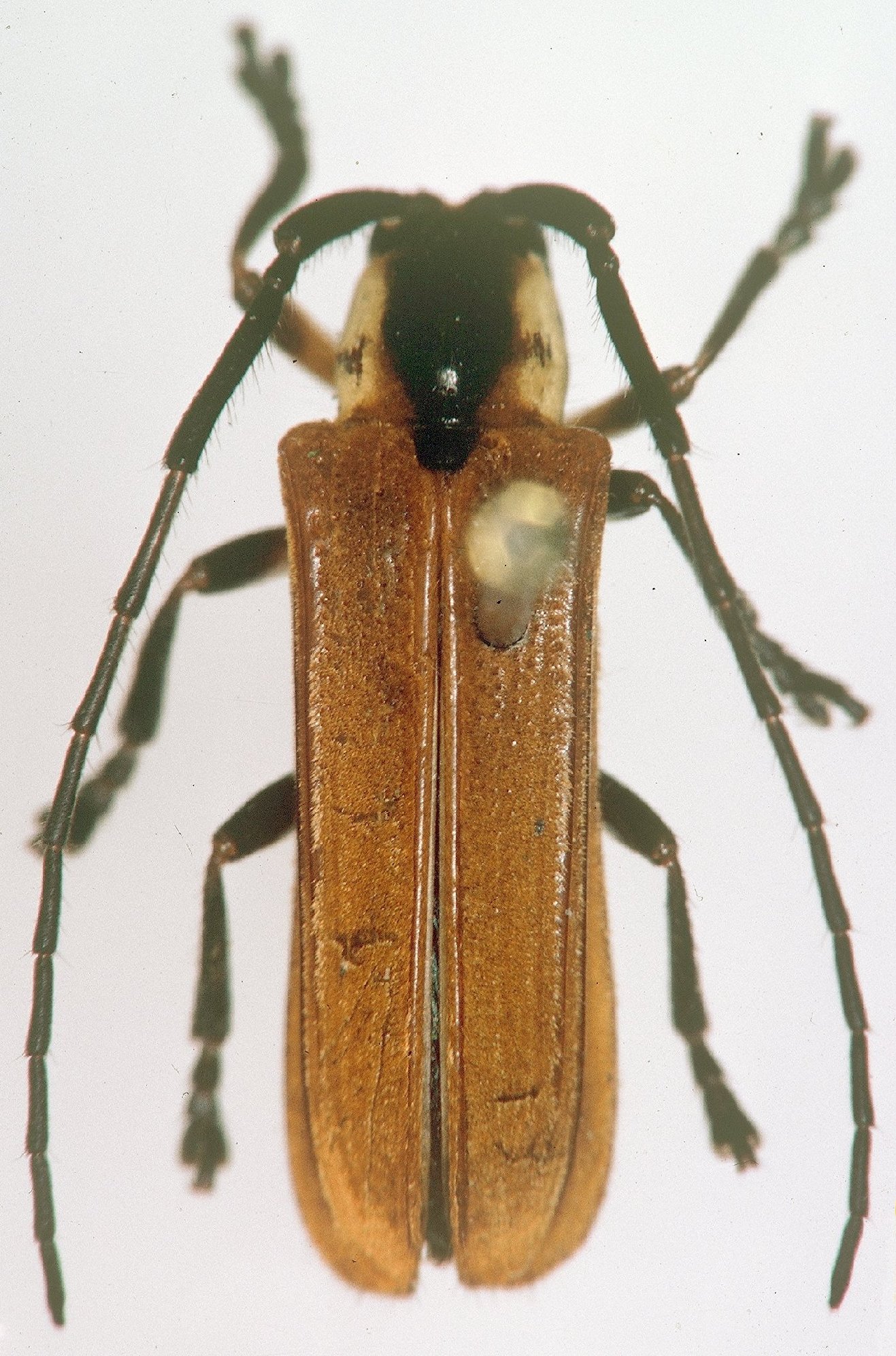
_Bates_=_Hilaroleopsis_bicarinata2.jpg)
Amphionycha bicarinata Bates Specimen Type: holotype Sex: m Institution: BMNH British Museum Natural History, London, UK Collection Location: Volcan de Chiriqui, Chiriqui, Panama 3794
|
_BCA_(as_Amphionycha).jpg)
Institution: BCA Biologia Centrali Americana Collection Location: (as Amphionycha) 8437
|
|