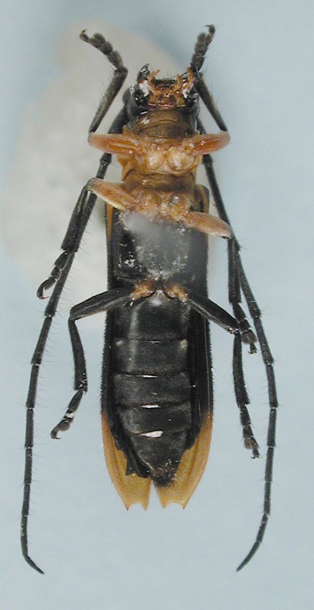
_Perty_ZSM_Sebastiopolin_RJ_Brazil_SWL_=_Hilarolea.jpg)
Saperda incensa Perty Specimen Type: holotype Institution: ZSM Zoologische Staatssammlung, München, Germany Photographer: Steve Lingafelter Collection Location: Sebastiopolin, Rio de Janeiro, Brazil 29825
|
_Perty_ZSM_Sebastiopolin_RJ_Brazil_SWL_=_Hilarolea.jpg)
Saperda incensa Perty Specimen Type: holotype Institution: ZSM Zoologische Staatssammlung, München, Germany Photographer: Steve Lingafelter Collection Location: Sebastiopolin, Rio de Janeiro, Brazil 29826
|
 Brochado, Minas Gerais, Brazil LGBC.jpg)
Institution: LGBC Larry G. Bezark Collection, Sacramento, California, USA Photographer: Larry G. Bezark Collection Location: Brochado, Minas Gerais, Brazil 95760
|
 Brochado, Minas Gerais, Brazil LGBC.jpg)
Institution: LGBC Larry G. Bezark Collection, Sacramento, California, USA Photographer: Larry G. Bezark Collection Location: Brochado, Minas Gerais, Brazil 95761
|
_Det_Lane_LGB_BMNH_Brazil.jpg)
Institution: BMNH British Museum Natural History, London, UK Photographer: Larry G. Bezark Determiner: Lane Collection Location: Brasil 20406
|
|