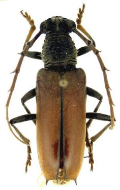
_Gahan_BMNH_Fr_Guiana_=_Atiaia_GN.jpg)
Hamaticherus consobrinus Gahan Specimen Type: holotype Sex: f Institution: BMNH British Museum Natural History, London, UK Photographer: Gino Nearns Collection Location: French Guiana 33402
|
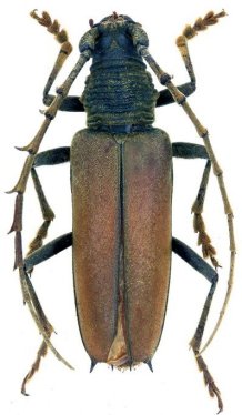
_Gahan_BMNH_Fr_Guiana_=_Atiaia_GN.jpg)
Hamaticherus consobrinus Gahan Specimen Type: holotype Sex: f Institution: BMNH British Museum Natural History, London, UK Photographer: Gino Nearns Collection Location: French Guiana 33403
|
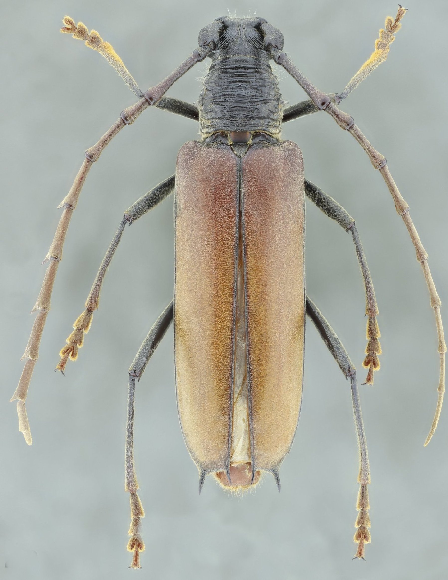
_Gahan_BMNH_Fr_Guiana_=_Atiaia_GN.jpg)
Hamaticherus consobrinus Gahan Specimen Type: holotype Sex: f Institution: BMNH British Museum Natural History, London, UK Photographer: Gino Nearns Collection Location: French Guiana 33404
|

Photographer: Jean-Louis Giuglaris Collection Location: Kaw, French Guiana 28596
|
_Faure_French_Guiana.jpg)
Photographer: Denis Faure Collection Location: French Guiana 23683
|
_FTH_French_Guiana.jpg)
Institution: FTH Frank T. Hovore collection (now at California Academy of Sciences) Photographer: Larry G. Bezark Collection Location: French Guiana 4854
|

Institution: UCB Essig Museum of Entomology, Berkeley, California, USA Photographer: Larry G. Bezark Determiner: Gerard Tavakilian Collection Location: as Brasilianus 4855
|
_FTH_French_Guiana.jpg)
Institution: FTH Frank T. Hovore collection (now at California Academy of Sciences) Photographer: Larry G. Bezark Collection Location: French Guiana 12452
|
 (Gahan) Ramirez Coll Pebas, Rio Amazonas, Loreto, Peru SS.jpg)
Sex: m Institution: Ramirez Collection Photographer: Antonio Santos-Silva Collection Location: Pebas, Rio Amazonas, Loreto, Peru 21651
|
_(Gahan)_Fr_Guiana.jpg)
Sex: m Photographer: Dalens Determiner: L'Entomologiste Collection Location: French Guiana 33394
|
_(Gahan)_Fr_Guiana.jpg)
Sex: m Photographer: Dalens Determiner: L'Entomologiste Collection Location: French Guiana 33395
|
_(Gahan)_Fr_Guiana.jpg)
Sex: m Photographer: Dalens Determiner: L'Entomologiste Collection Location: French Guiana 33396
|
_(Gahan)_Fr_Guiana.jpg)
Sex: f Photographer: Dalens Determiner: L'Entomologiste Collection Location: French Guiana 33397
|