 Bates BMNH Santo Domingo, Chontales, Nicaragua Moure.jpg)
Specimen Type: holotype Institution: BMNH British Museum Natural History, London, UK Photographer: JS Moure Collection Location: Santo Domingo, Chontales, Nicaragua 7736
|
_Bates_BMNH_JAC.jpg)
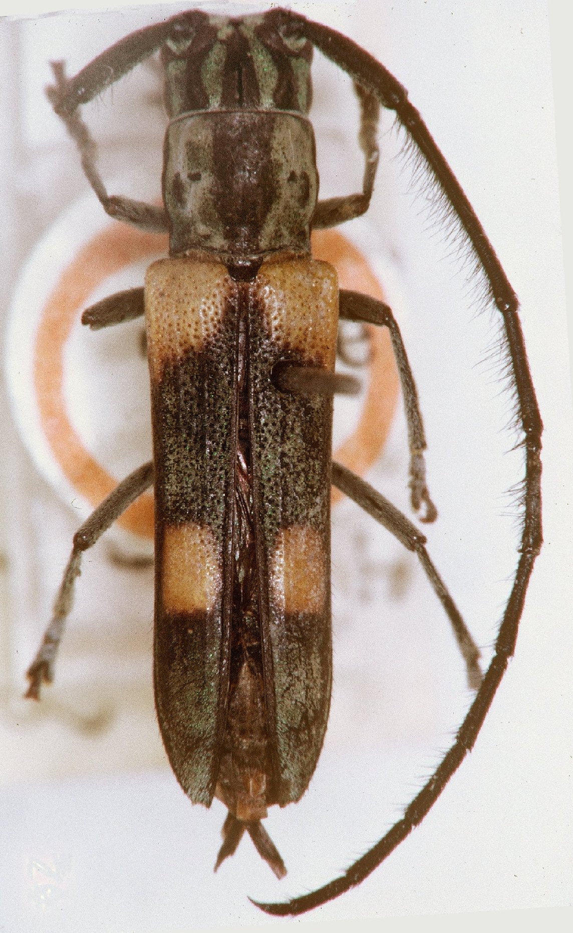
Specimen Type: holotype Institution: BMNH British Museum Natural History, London, UK Photographer: John Chemsak 16564
|

Institution: FTH Frank T. Hovore collection (now at California Academy of Sciences) Photographer: Larry G. Bezark Collection Location: Cerro Jefe Azul, Panama 27311
|

Institution: FTH Frank T. Hovore collection (now at California Academy of Sciences) Photographer: Larry G. Bezark Collection Location: Cerro Jefe Azul, Panama 27312
|
.jpg)
Institution: BCA Biologia Centrali Americana Collection Location: (as Isomerida) 7737
|

Institution: UCB Essig Museum of Entomology, Berkeley, California, USA Photographer: Larry G. Bezark Collection Location: Santa Fe, Panama 7738
|
|