 Bates BMNH Orizaba, Veracruz, Mexico now Eranina Moure.jpg)
Erana pectoralis Bates Specimen Type: lectotype Sex: m Institution: BMNH British Museum Natural History, London, UK Photographer: JS Moure Collection Location: Orizaba, Veracruz, Mexico 95671
|
_(m)_Bates_BMNH_JAC.jpg)
Erana pectoralis Bates Specimen Type: lectotype Sex: m Institution: BMNH British Museum Natural History, London, UK Photographer: John Chemsak Collection Location: Orizaba, Veracruz, Mexico 16394
|
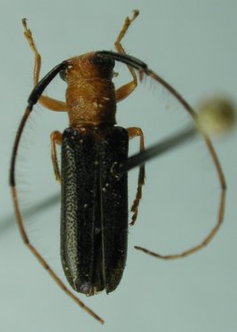
 Bates MZSP Lake Catemaco, Veracruz, Mexico SS.jpg)
Sex: f Institution: MZSP Museu de Zoologia da Universidade de São Paulo, Brazil Photographer: Antonio Santos-Silva Collection Location: Lake Catemaco, Veracruz, Mexico 96381
|
 Bates MZSP Lake Catemaco, Veracruz, Mexico SS.jpg)
Sex: f Institution: MZSP Museu de Zoologia da Universidade de São Paulo, Brazil Photographer: Antonio Santos-Silva Collection Location: Lake Catemaco, Veracruz, Mexico 96382
|

Institution: LGBC Larry G. Bezark Collection, Sacramento, California, USA Photographer: Larry G. Bezark Collection Location: Candelaria, Loxicha, Oaxaca, Mexico 37508
|

Institution: LGBC Larry G. Bezark Collection, Sacramento, California, USA Photographer: Larry G. Bezark Collection Location: Candelaria, Loxicha, Oaxaca, Mexico 37509
|
|