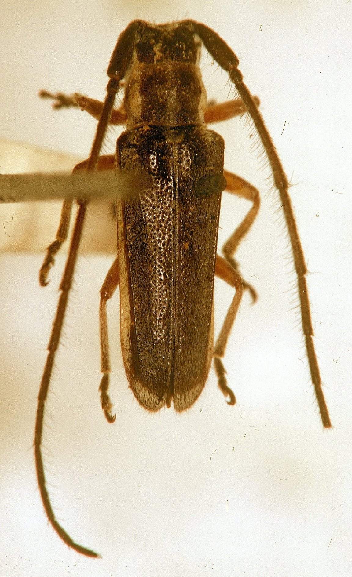
 Bates MNHN Minas Gerais, Brazil now Pyrobolus Moure.jpg)
Amphionycha rectilinea Bates Specimen Type: holotype Sex: m Institution: MNHN Museum of Natural History Paris, France Photographer: JS Moure Collection Location: Minas Gerais, Brazil 95340
|
_Bates_MNHN_FTH_=_Cuiciuna_rectilinea.jpg)
Amphionycha rectilinea Bates Specimen Type: holotype Sex: m Institution: MNHN Museum of Natural History Paris, France Collection Location: Minas Gerais, Brazil 15192
|
_CAS.jpg)
Institution: CAS California Academy of Sciences, San Francisco, CA, USA 20208
|
|