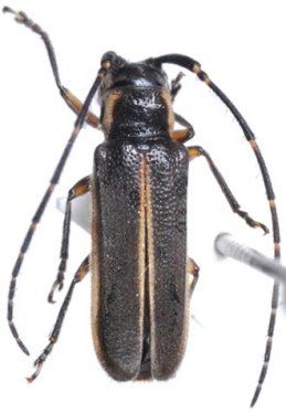
_Melzer_MZSP_SWL_=_Cuiciuna_melancholica.jpg)
Adesmus suturatus var. melancolicus Melzer Specimen Type: holotype Institution: MZSP Museu de Zoologia da Universidade de São Paulo, Brazil Photographer: Steve Lingafelter 3857
|

Photographer: Marcela Monne Collection Location: Itatiaia National Park, Rio de Janeiro, Brazil 35335
|