New Search Family, Subfamily and Tribe List

SubFamily Lamiinae

Tribe Hemilophini
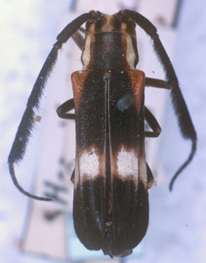
Cuicirama smithii (Bates, 1881)

Hemilophus smithii Bates
Specimen Type: lectotype
Sex: m
Institution: MNHN Museum of Natural History Paris, France
16757

130425