New Search Family, Subfamily and Tribe List

SubFamily Cerambycinae

Tribe Ectenessini
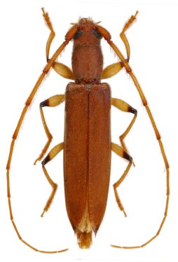
Niophis coptorhina Bates 1867

Specimen Type: holotype
Sex: m
Institution: MNHN Museum of Natural History Paris, France
Photographer: JS Moure
Collection Location: Santarem, Rio Tapajos, Para, Brazil
23081


Photographer: Jean-Louis Giuglaris
Collection Location: Kaw, French Guiana
28903


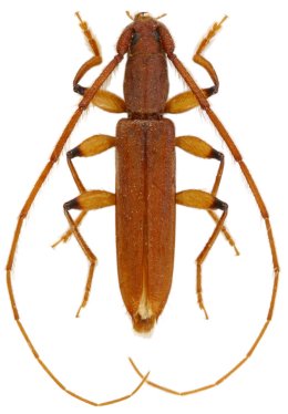
Sex: f
Photographer: Julien Touroult
Collection Location: French Guiana
44848


Sex: m
Photographer: Julien Touroult
Collection Location: French Guiana
44849

130425