New Search Family, Subfamily and Tribe List

SubFamily Cerambycinae

Tribe Cerambycini
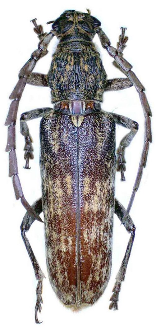
Rhytidodera gerstmeieri Holzschuh 2020

Photographer: Andreas Weigel, Cerambycoidea Forum
Determiner: Gerard Chemin, Cerambycoidea Forum
Collection Location: Sulawesi
90909

130425