New Search Family, Subfamily and Tribe List

SubFamily Lamiinae

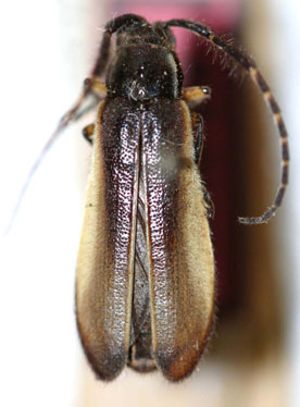
Tribe Hemilophini
Cendiuna cendira Galileo & Martins 1991

Specimen Type: holotype
Institution: MZSP Museu de Zoologia da Universidade de São Paulo, Brazil
Photographer: Steve Lingafelter
5439

130425