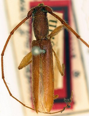
_aper_(h-m)_Germar_ZSM_Brazil_SWL=_Niophis.jpg)
Cerambyx aper Germar Specimen Type: holotype Sex: m Institution: ZSM Zoologische Staatssammlung, München, Germany Photographer: Steve Lingafelter Collection Location: Brazil 29742
|
_BMNH_LGB.jpg)
Institution: BMNH British Museum Natural History, London, UK Photographer: Larry G. Bezark 47098
|
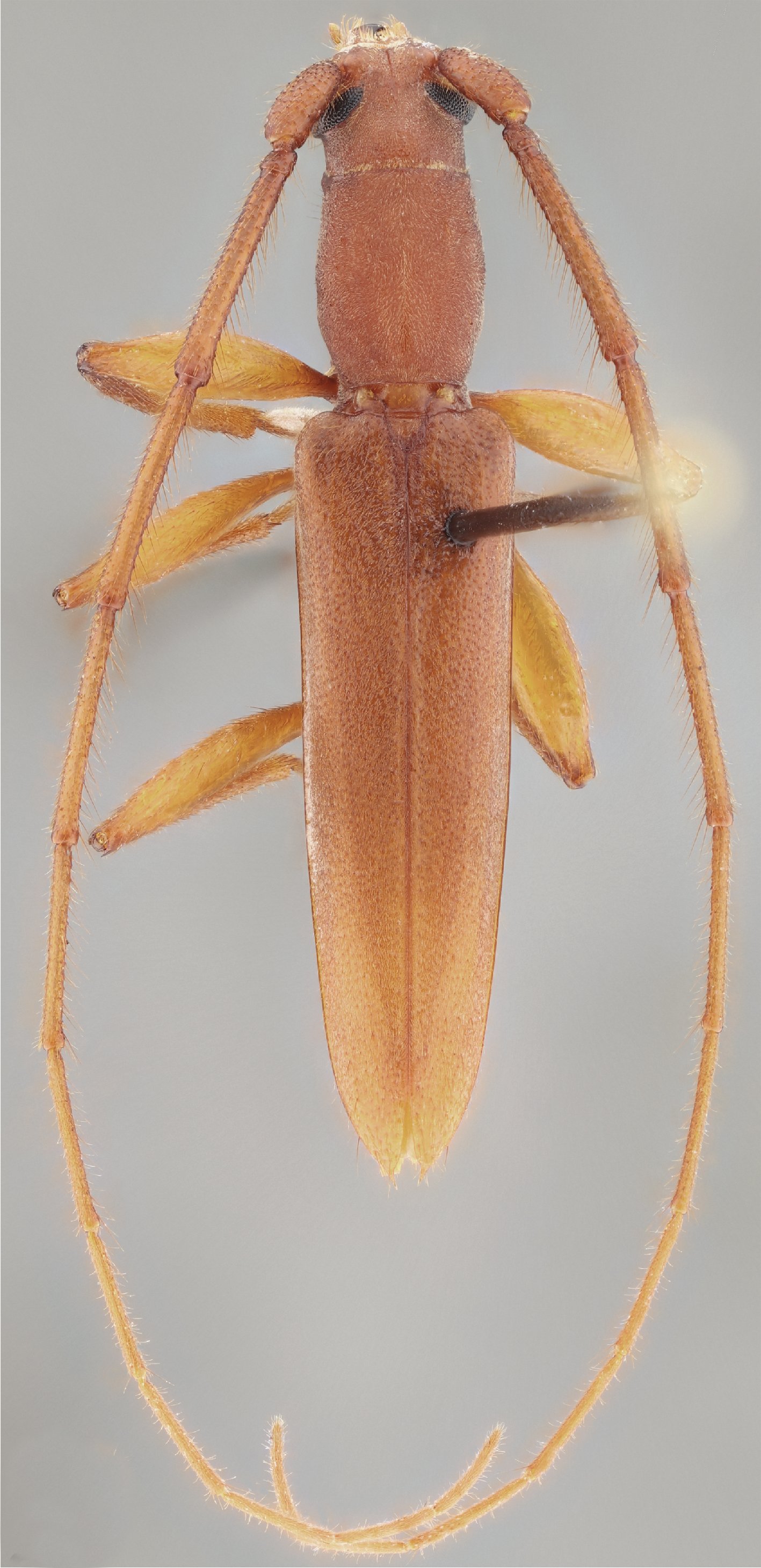
 (Germar) CSCA 4 km NW St Elena, Puntarenas, Costa Rica SS.jpg)
Sex: m Institution: CSCA California State Collection of Arthropods, Sacramento, California Photographer: Antonio Santos-Silva Collection Location: 4 km NW St Elena, Puntarenas, Costa Rica 101274
|
_SA_Suppl_1.jpg)
Determiner: S American Cerambycidae Supplement 1 55602
|
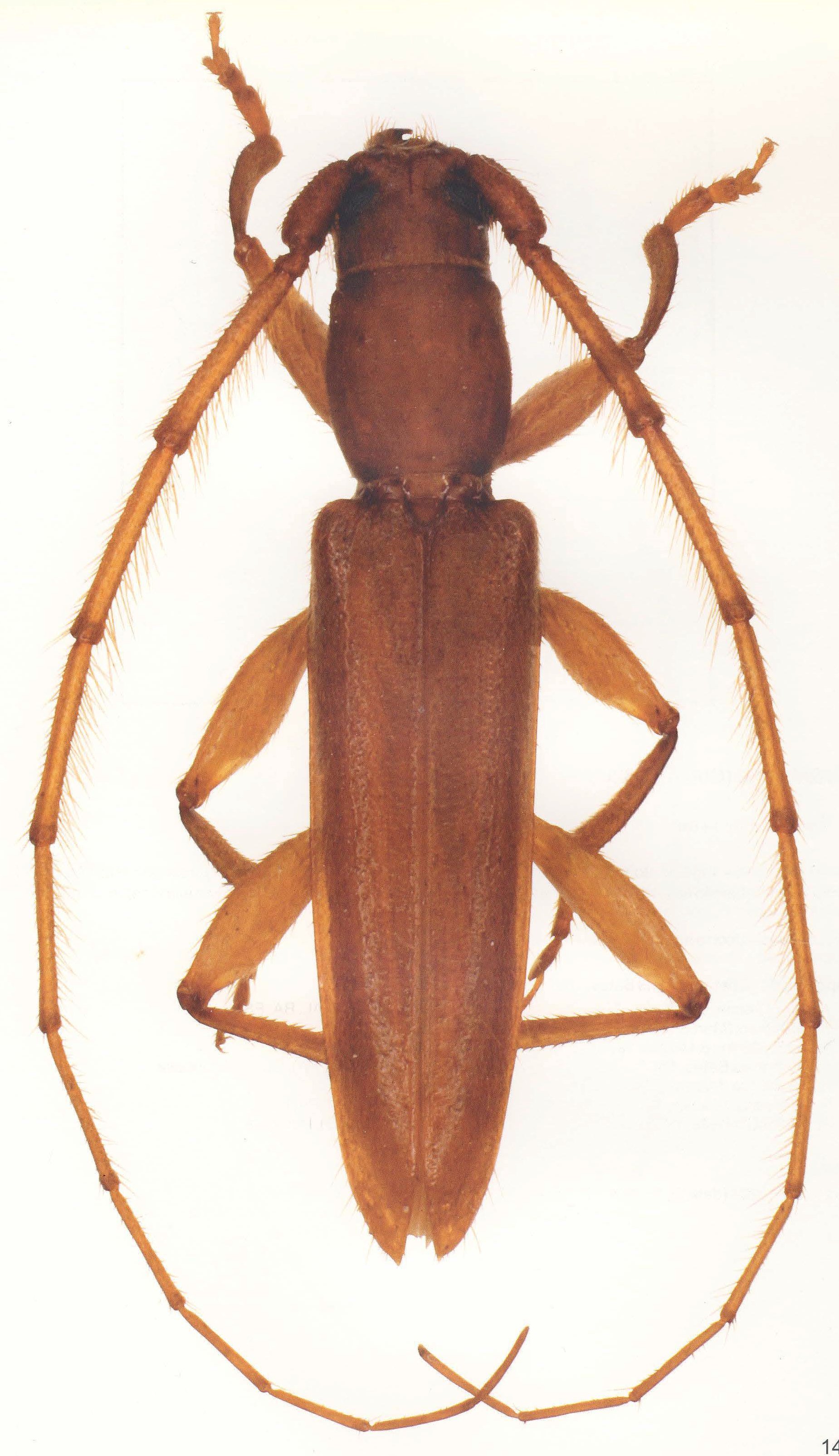
 ESEC Maraca Alto Alegre, Roraima, Brazil SS.jpg)
Photographer: Antonio Santos-Silva Collection Location: Maraca Alto Alegre, Roraima, Brazil 22125
|
|