New Search Family, Subfamily and Tribe List

SubFamily Lamiinae

Tribe Hemilophini
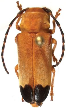
Calocosmus melanurus Gahan 1889

Specimen Type: lectotype
Institution: BMNH British Museum Natural History, London, UK
Photographer: JS Moure
95539


Specimen Type: lectotype
Institution: BMNH British Museum Natural History, London, UK
Photographer: John Chemsak
15472


Photographer: Steve Lingafelter
Collection Location: Dominican Republic
37467

130425