New Search Family, Subfamily and Tribe List

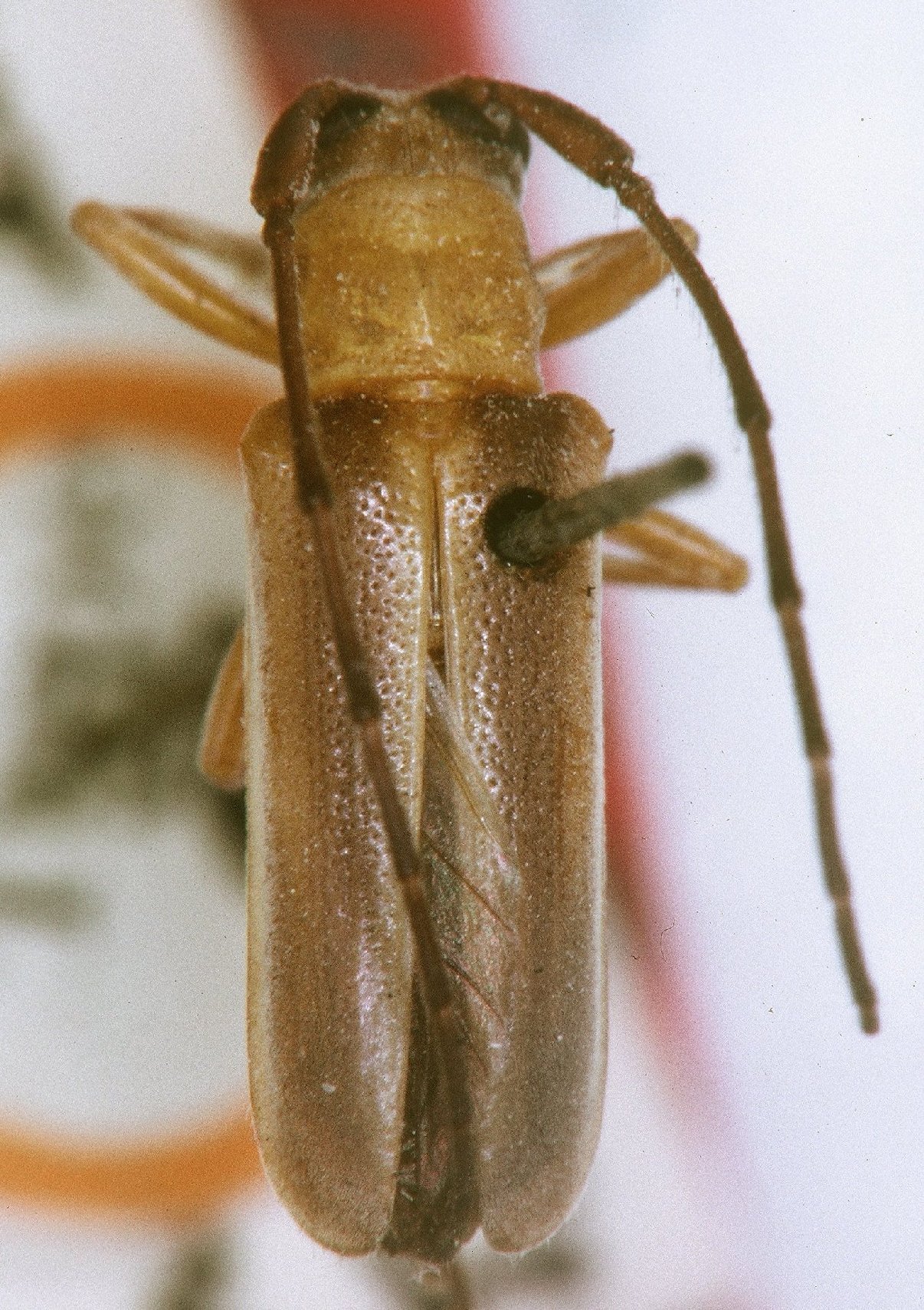
SubFamily Lamiinae

Tribe Hemilophini
Calocosmus marginipennis Gahan 1889

Specimen Type: lectotype
Institution: BMNH British Museum Natural History, London, UK
Photographer: JS Moure
95538


Specimen Type: lectotype
Institution: BMNH British Museum Natural History, London, UK
Photographer: John Chemsak
15471

130425