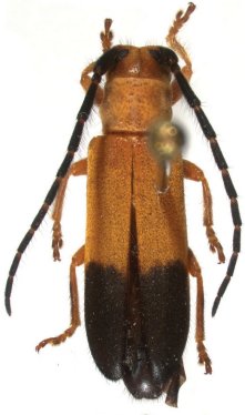
_AMNH_Guantanamo_San_Carlos_Cuba.jpg)
Specimen Type: holotype Sex: m Institution: AMNH American Museum of Natural History, New York, NY, USA Collection Location: Guantanamo, San Carlos, Cuba 27701
|
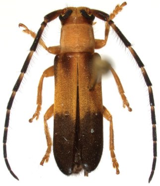
_Fisher_AMNH_JAC.jpg)
Specimen Type: holotype Institution: AMNH American Museum of Natural History, New York, NY, USA Photographer: John Chemsak 15466
|