_Lane_AMNH_Chinchao_25km_S_Carpish_Huanuco_Peru.jpg)
Specimen Type: holotype Sex: f Institution: AMNH American Museum of Natural History, New York, NY, USA Collection Location: Chinchao, 25km S Carpish, Huanuco, Peru 27700
|
_Lane_MZSP_Chinchao_25km_S_Carpish_Huanuco_Peru_SS.jpg)
Specimen Type: paratype Sex: f Institution: MZSP Museu de Zoologia da Universidade de São Paulo, Brazil Photographer: Antonio Santos-Silva Collection Location: Chinchao, 25 km S Carpish, Huanuco, Peru 72476
|
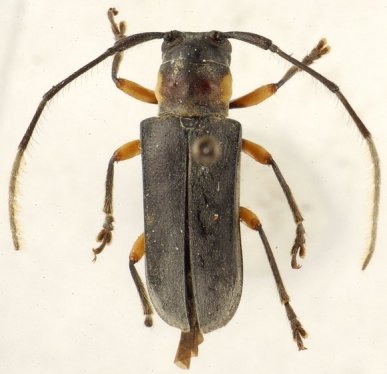
_Lane_MZSP_Chinchao_25km_S_Carpish_Huanuco_Peru_SS.jpg)
Specimen Type: paratype Sex: f Institution: MZSP Museu de Zoologia da Universidade de São Paulo, Brazil Photographer: Antonio Santos-Silva Collection Location: Chinchao, 25 km S Carpish, Huanuco, Peru 72477
|
_Lane_CAS.jpg)
Specimen Type: paratype Institution: CAS California Academy of Sciences, San Francisco, CA, USA Photographer: Larry G. Bezark Collection Location: Chinchao, 25km S Carpish, Huanuco, Peru 5137
|
_Lane_MZSP_SWL.jpg)
Specimen Type: paratype Institution: MZSP Museu de Zoologia da Universidade de São Paulo, Brazil Photographer: Steve Lingafelter Collection Location: Chinchao, 25km S Carpish, Huanuco, Peru 5138
|

Institution: LGBC Larry G. Bezark Collection, Sacramento, California, USA Photographer: Larry G. Bezark Determiner: Bira Martins Collection Location: Tingo Maria, Huanuco, Peru 24536
|

Institution: LGBC Larry G. Bezark Collection, Sacramento, California, USA Photographer: Larry G. Bezark Determiner: Bira Martins Collection Location: Tingo Maria, Huanuco, Peru 24537
|
|