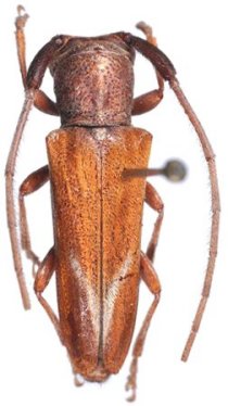
_Det_Lane_LGB_BMNH_Brazil.jpg)
Institution: BMNH British Museum Natural History, London, UK Photographer: Larry G. Bezark Determiner: Lane Collection Location: Brazil 20109
|

Photographer: Marcela Monne Collection Location: Itatiaia National Park, Rio de Janeiro, Brazil 35320
|
_(Lucas)_RNV_Linhares_ES_Brazil_SS.jpg)
Sex: m Institution: Reserva Natural Vale Collection, Espirito Santo Photographer: Antonio Santos-Silva Collection Location: Linhares, Espirito Santo, Brazil 72847
|
|