New Search Family, Subfamily and Tribe List

SubFamily Lamiinae

Tribe Hemilophini
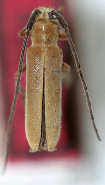
Apagomerina flava Galileo & Martins 1989

Specimen Type: holotype
Institution: MZSP Museu de Zoologia da Universidade de São Paulo, Brazil
Photographer: Steve Lingafelter
4663

130425