New Search Family, Subfamily and Tribe List

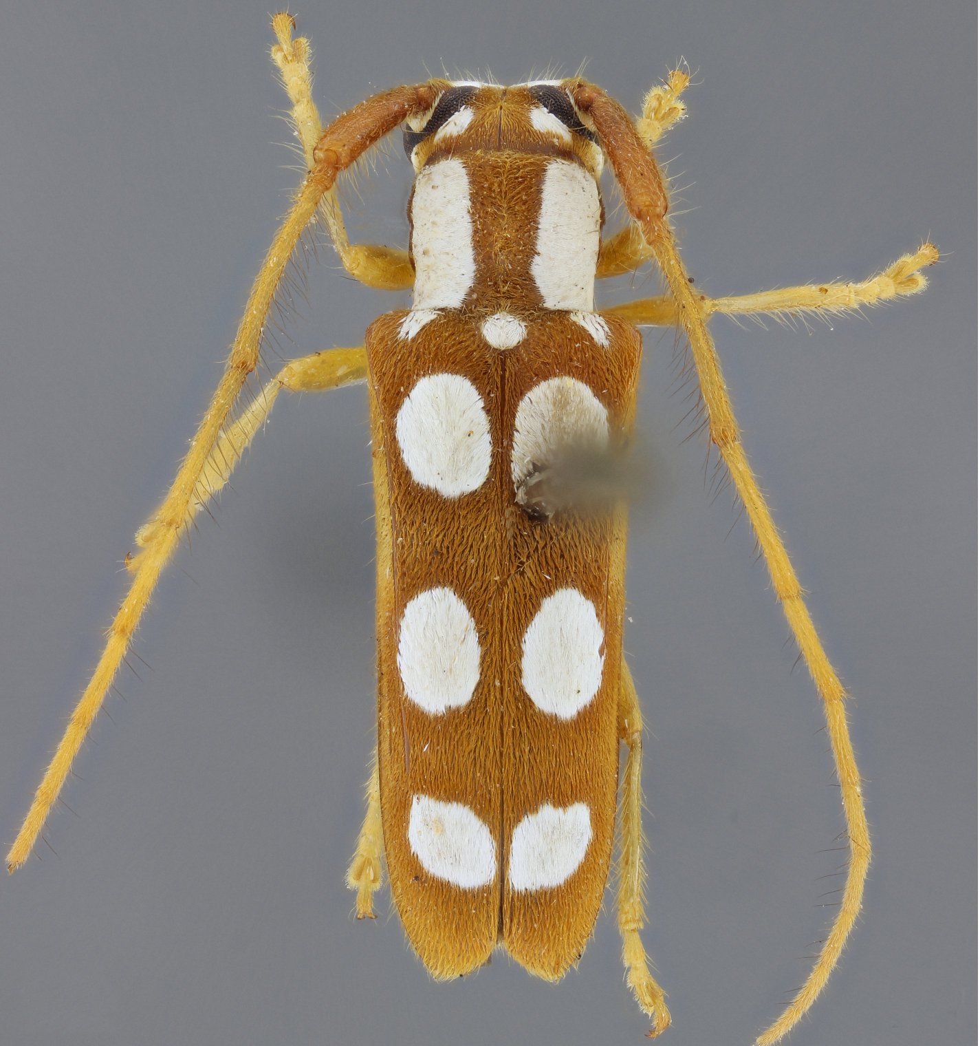
SubFamily Lamiinae

Tribe Hemilophini
Adesmus sexguttatus (Lucas, 1857)

Determiner: Iheringia
3852


Photographer: Marcela Monne
Collection Location: Itatiaia National Park, Rio de Janeiro, Brazil
35307


Sex: f
Photographer: Antonio Santos-Silva
63779

130425