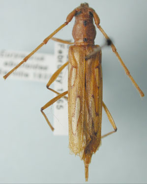
_Aud-Serv_BMNH_Brazil_LGB.jpg)
Specimen Type: holotype Institution: BMNH British Museum Natural History, London, UK Photographer: Larry G. Bezark Collection Location: Brazil 46804
|
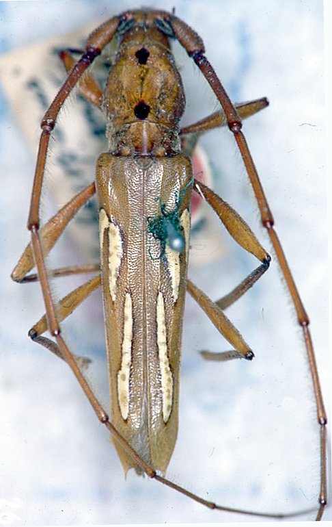
 Aud-Serv BMNH Brazil Moure.jpg)
Specimen Type: syntype Institution: BMNH British Museum Natural History, London, UK Photographer: JS Moure Collection Location: Brazil 101796
|
_Tippmann_Bolivia_USNM_SWL_=_Eurymerus_eburioides_Aud-Serv.jpg)
Eurymerus eburiodes var. nigricans Tippmann Specimen Type: holotype Sex: m Institution: NMNH United States National Museum, Washington, DC, USA Photographer: Steve Lingafelter Collection Location: Santa Cruz, Bolivia 7828
|
 White BMNH Brazil now eburioides Moure.jpg)
Eurymerus flavosignatus White Specimen Type: holotype Sex: m Institution: BMNH British Museum Natural History, London, UK Photographer: JS Moure Collection Location: Brazil 16600
|

Photographer: Ole Mehl Collection Location: Department Caazapa, Paraguay 36775
|

Photographer: Jim Wappes Collection Location: Bolivia 7829
|

Photographer: Larry G. Bezark 7830
|

Institution: UCD University of California, Davis, California, USA Photographer: Larry G. Bezark 7831
|