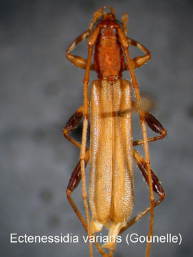
 Gounelle MNHN Jatai, Goias, Brazil now Ectenessidia Moure.jpg)
Ectenessa varians Gounelle Specimen Type: syntype Institution: MNHN Museum of Natural History Paris, France Photographer: JS Moure Collection Location: Jataí, Goias, Brazil 101766
|
 Gounelle MNHN Jatai, Goias, Brazil now Ectenessidia Moure.jpg)
Ectenessa varians Gounelle Specimen Type: syntype Institution: MNHN Museum of Natural History Paris, France Photographer: JS Moure Collection Location: Jataí, Goias, Brazil 101767
|
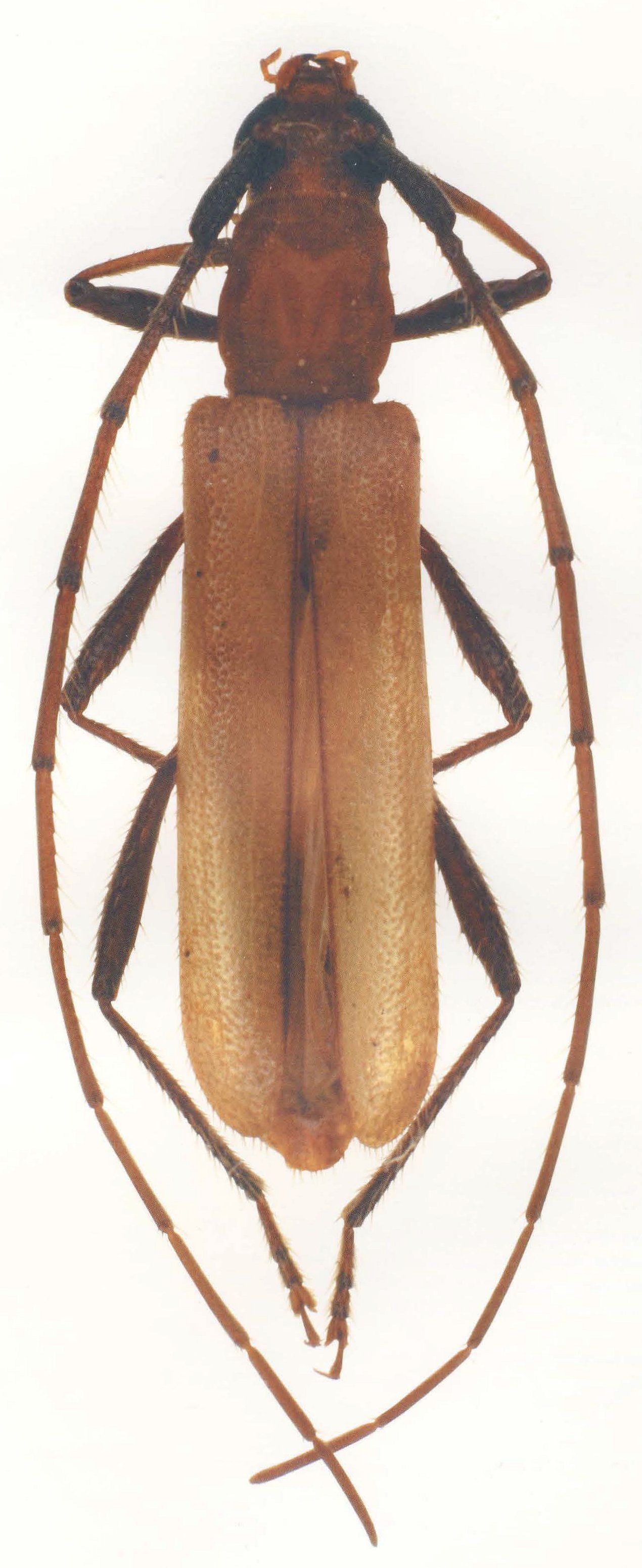
 Gounelle MNHN Bahia, Brazil now Ectenessidia varians Moure.jpg)
Ectenessa varians var simplicipennis Gounelle Specimen Type: syntype Institution: MNHN Museum of Natural History Paris, France Photographer: JS Moure Collection Location: Bahia, Brazil 101769
|
_CAS.jpg)
Institution: CAS California Academy of Sciences, San Francisco, CA, USA Photographer: Larry G. Bezark 7152
|
_Bolivia_Wappes_Photo.jpg)
Photographer: Jim Wappes Collection Location: Bolivia 7153
|
_Bolivia_Wappes_Photo.jpg)
Photographer: Jim Wappes Collection Location: Bolivia 7154
|
_Puerto_Gallie_Dept_Pres_Hayes_Paraguay_Ole_Mehl.jpg)
Photographer: Ole Mehl Collection Location: Puerto Gallie, Department Presidente Hayes, Paraguay 35745
|
_SA_Suppl_1.jpg)
Determiner: S American Cerambycidae Supplement 1 55588
|