New Search Family, Subfamily and Tribe List

SubFamily Lamiinae

Tribe Hemilophini
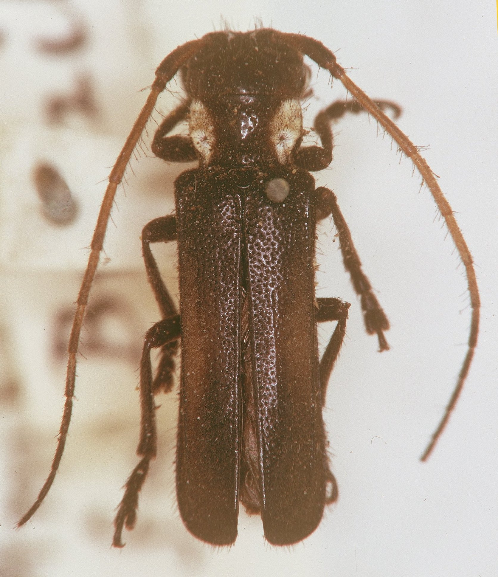
Adesmus fulvicornis (Bates, 1881)

Amphionycha fulvicornis Bates
Specimen Type: holotype
Institution: MNHN Museum of Natural History Paris, France
Photographer: JS Moure
Collection Location: Nova Friburgo, Rio de Janeiro, Brazil
95204


Determiner: Iheringia
3814

130425