 Melzer MZSP Espírito Santo, Brazil SS.jpg)
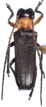
Specimen Type: holotype Sex: m Institution: MZSP Museu de Zoologia da Universidade de São Paulo, Brazil Photographer: Antonio Santos-Silva Collection Location: Espírito Santo, Brazil 90442
|
_Melzer_MZSP_SWL.jpg)
Specimen Type: holotype Sex: m Institution: MZSP Museu de Zoologia da Universidade de São Paulo, Brazil Photographer: Steve Lingafelter Collection Location: Espírito Santo, Brazil 3800
|
_Melzer_MZSP_SWL.jpg)
Specimen Type: holotype Sex: m Institution: MZSP Museu de Zoologia da Universidade de São Paulo, Brazil Photographer: Steve Lingafelter Collection Location: Espírito Santo, Brazil 3801
|

Specimen Type: holotype Sex: m Institution: MZSP Museu de Zoologia da Universidade de São Paulo, Brazil Determiner: Iheringia Collection Location: Espírito Santo, Brazil 3802
|
 Melzer Itatiaia, Rio de Janeiro, Brazil SS.jpg)
Sex: f Institution: MZSP Museu de Zoologia da Universidade de São Paulo, Brazil Photographer: Antonio Santos-Silva Collection Location: Itatiaia, Rio de Janeiro, Brazil 90443
|

Photographer: Marcela Monne Collection Location: Itatiaia National Park, Rio de Janeiro, Brazil 35306
|
|