 Belon MNHN Uberaba, Minas Gerais, Brazil now Ectenessidia Moure.jpg)
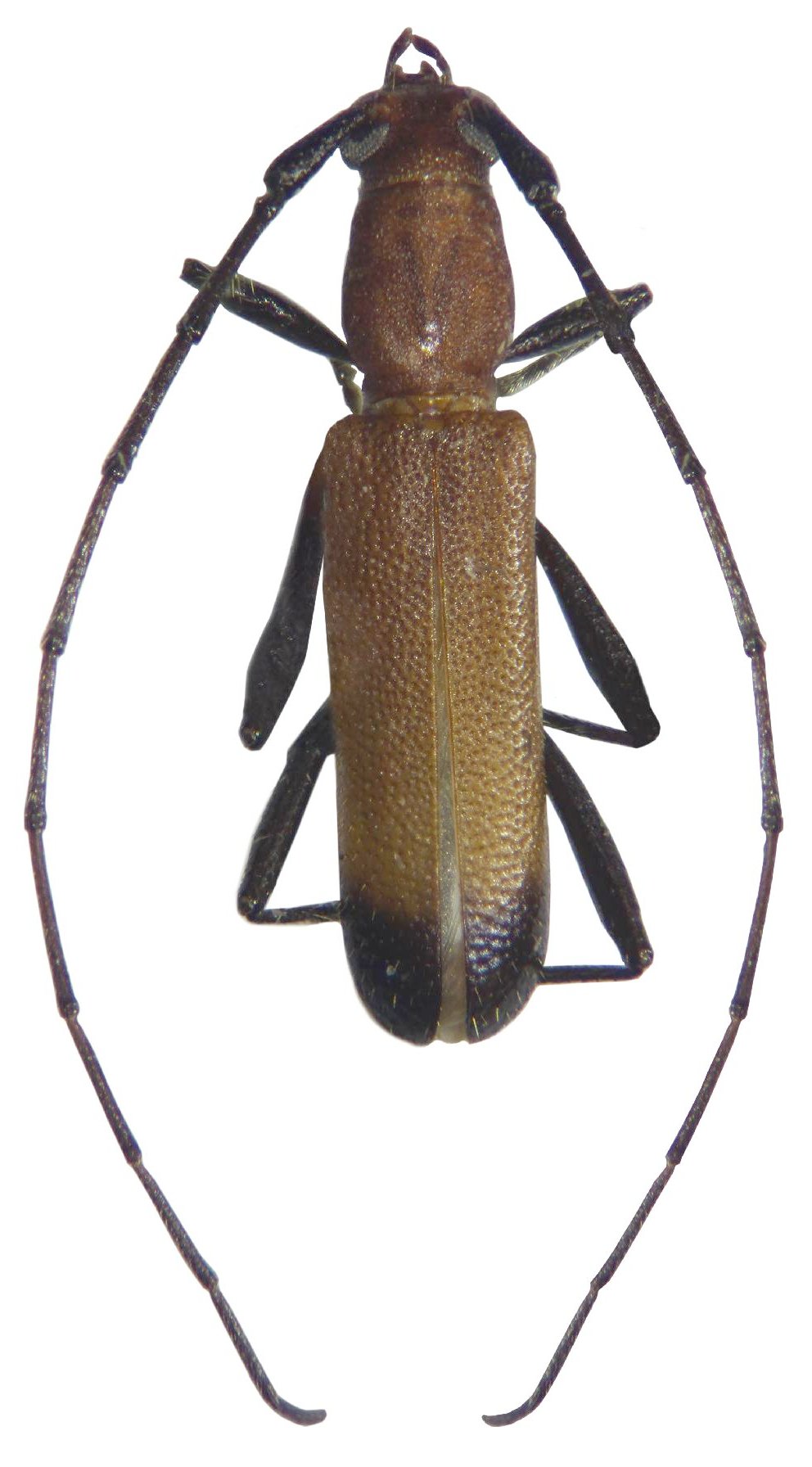
Ectenessa nigriventris Belon Specimen Type: holotype Sex: m Institution: MNHN Museum of Natural History Paris, France Photographer: JS Moure Collection Location: Uberaba, Minas Gerais, Brazil 101762
|
 Gounelle MNHN Goias or Bahia, Brazil now Ectenessidia nigrivent Moure.jpg)
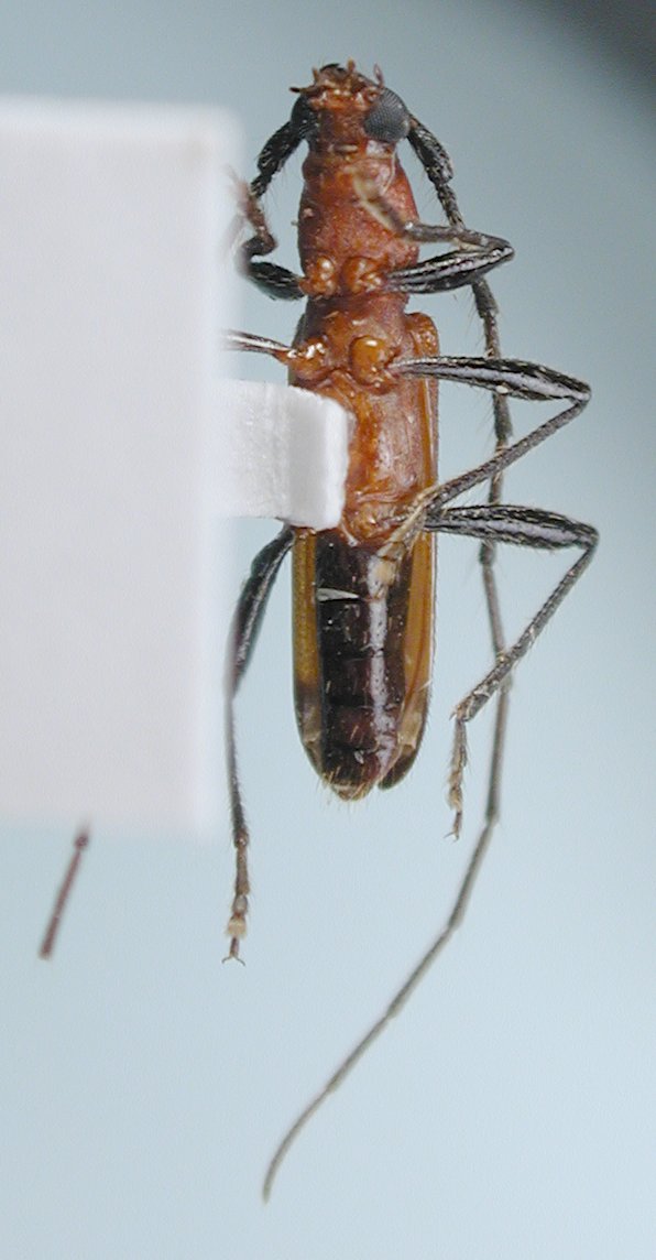
Ectenessa varians var cyaneipennis Gounelle Specimen Type: syntype Institution: MNHN Museum of Natural History Paris, France Photographer: JS Moure Collection Location: Goias or Bahia, Brazil 101768
|
_6km_NE_Paraguari_Paraguay_WHTC_LGB.jpg)
Institution: WHTC William H. Tyson Collection, Coarsegold, California, USA Photographer: Larry G. Bezark Collection Location: Hotel Gabriela, 6 km NE Paraguari, Paraguay 69772
|
_(Belon)_6km_NE_Paraguari_Paraguay_WHTC_LGB.jpg)
Institution: WHTC William H. Tyson Collection, Coarsegold, California, USA Photographer: Larry G. Bezark Collection Location: Hotel Gabriela, 6 km NE Paraguari, Paraguay 69773
|
_Bolivia_Wappes_Photo.jpg)
Photographer: Jim Wappes Collection Location: Bolivia 7151
|
_Paraguay_Dep_Paraguari_Mehl.jpg)
Photographer: Ole Mehl Collection Location: Department Paraguari, Paraguay 36726
|
 Los Chaguares, Chaco, Argentina Nestor Valle pic.jpg)
Institution: Universidad Nacional del
Nordeste, Argentina Photographer: Nestor Valle Collection Location: Los Chaguares, Chaco, Argentina 81174
|
|