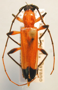
 Belon MNHN Goias or Minas Gerais, Brazil Moure.jpg)
Specimen Type: syntype Institution: MNHN Museum of Natural History Paris, France Photographer: JS Moure Collection Location: Goias or Minas Gerais, Brazil 101770
|
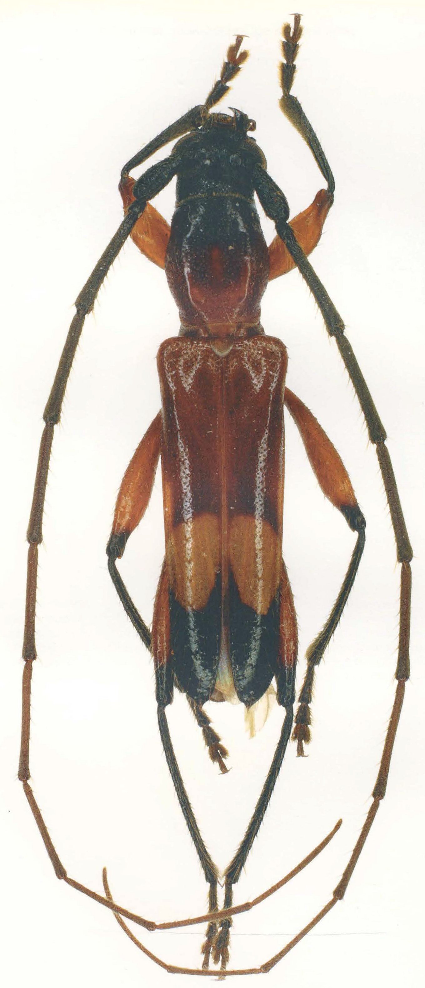
 Belon MNHN Goias or Minas Gerais, Brazil Moure.jpg)
Specimen Type: syntype Institution: MNHN Museum of Natural History Paris, France Photographer: JS Moure Collection Location: Goias or Minas Gerais, Brazil 101771
|
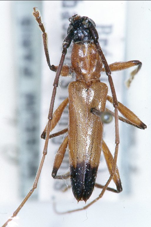
_(h).jpg)
Specimen Type: syntype Institution: MNHN Museum of Natural History Paris, France 7147
|

Photographer: Jim Wappes Collection Location: Bolivia 7149
|

Institution: FTH Frank T. Hovore collection (now at California Academy of Sciences) Photographer: Larry G. Bezark 7150
|

Photographer: John Chemsak 16246
|

Determiner: S American Cerambycidae Supplement 1 55587
|