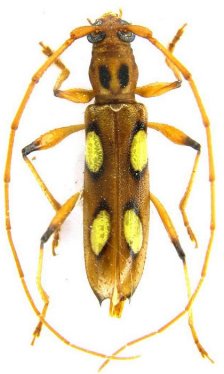
 Buquet MNHN Cayenne, French Guiana now Ectenessa Moure.jpg)
Anoplomerus spinipennis Buquet Specimen Type: holotype Sex: m Institution: MNHN Museum of Natural History Paris, France Photographer: JS Moure Collection Location: Cayenne, French Guiana 92644
|
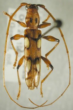
_Fr_Guinea_Faure.jpg)
Photographer: Denis Faure Collection Location: French Guiana 28728
|

Photographer: Jean-Louis Giuglaris Collection Location: Kaw, French Guiana 28729
|
_Bolivia_Wappes_Photo.jpg)
Photographer: Jim Wappes Collection Location: Bolivia 7145
|
_Giesbert_Collection_FSCA.jpg)
Institution: EMG Ed Giesbert Collection (now at FSCA) Photographer: Larry G. Bezark 7146
|
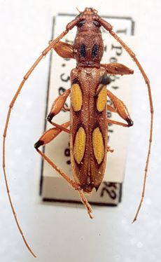
_Buquet_JAC_=_Ectenessa.jpg)
Eurymerus spinipennis Buquet Photographer: John Chemsak 16603
|