 Bates BMNH San Jeronimo, Baja Verapaz, Guatemala now Abanycha Moure.jpg)
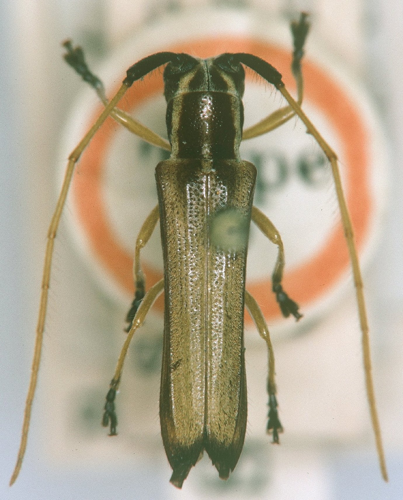
Amphionycha pulchricollis Bates Specimen Type: holotype Sex: m Institution: BMNH British Museum Natural History, London, UK Photographer: JS Moure Collection Location: San Jeronimo, Baja Verapaz, Guatemala 20028
|
_Bates_BMNH_JAC_=_Abanycha_pulchricollis.jpg)
Amphionycha pulchricollis Bates Specimen Type: holotype Institution: BMNH British Museum Natural History, London, UK Photographer: John Chemsak 15191
|