 Gahan BMNH Ecuador now Abanycha Moure.jpg)
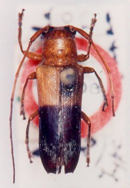
Amphionycha bicolor Gahan Specimen Type: holotype Institution: BMNH British Museum Natural History, London, UK Photographer: JS Moure Collection Location: Ecuador 91512
|
_Gahan_BMNH_Ecuador_=_Abanycha.jpg)
Amphionycha bicolor Gahan Specimen Type: holotype Institution: BMNH British Museum Natural History, London, UK Photographer: J S Moure Collection Location: Ecuador 33078
|